
凤鲚属于河口性洄游鱼类,平时栖息于浅海,每年春季,大量鱼类从海中洄游至河口半咸淡水区域产卵,但决不…




凤鲚属于河口性洄游鱼类,平时栖息于浅海,每年春季,大量鱼类从海中洄游至河口半咸淡水区域产卵,但决不…




长颌鲚,俗称长江刀鱼、毛花鱼、野毛鱼、梅鲚等,为鍉科鲚属洄游性鱼类,平时生活在海里,每年2~3月份…




黄鲫为辐鳍鱼纲鲱形目鳀科黄鲫属的鱼类。分布干印度洋和太平洋西部。我国南海、东海、黄海和渤海均产之。…




沙丁鱼是鲱科、沙丁鱼属鱼类。为细长的银色小鱼,体长15-30厘米,鳃盖骨上有显著放射状隆起线,…




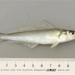
刀鲚是鲱形目鳀科鲚属鱼类,又称刀鱼、长颌鲚、太湖湖鲚、短颌鲚、毛刀鱼、毛花鱼、梅鲚等。体侧扁长,…




沙丁鱼是鲱科、沙丁鱼属鱼类。为细长的银色小鱼,体长15-30厘米,鳃盖骨上有显著放射状隆起线,…




刀鲚是鲱形目鳀科鲚属鱼类,又称刀鱼、长颌鲚、太湖湖鲚、短颌鲚、毛刀鱼、毛花鱼、梅鲚等。体侧扁长,…


















