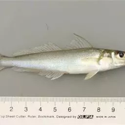
蓝圆鲹(学名:Decapterus maruadsi)属鲹科、圆鲹属鱼类。体呈纺锤形,微侧扁。下颌稍突于上颌。上颌延伸至眼前缘之下方。上下颌各具一列细齿;锄骨呈矢形齿带;腭骨及舌面呈细长齿带。鳃盖膜后缘平滑。下枝鳃耙数(含瘤状鳃耙)36~38。背前鳞延伸至瞳孔前缘之上方。侧线直走部始于第二背鳍第12~13鳍条之下方,全为棱鳞。第二背鳍与臀鳍同形,前方鳍条呈新月形,后方具一离鳍;胸鳍长,末端仅延伸至第二背鳍起点之下方。体背蓝绿色,腹部银白。背鳍、胸鳍淡色至黄绿色;第二背鳍具黑缘,其前方鳍条末端具白缘;尾鳍黄绿色;余鳍淡色。
蓝圆鲹为暖水性中上层鱼类。常聚集成群巡游于近海。喜集群洄游,白天常起群上浮,夜间有趋光性。具有较长距离洄游习性。属广食性鱼类,饵料组成随海区饵料生物优势种类而变化,中国长江口和浙江北部近海,主要摄食磷虾、毛颚类,其次是翼足类端足类、其他小型鱼类桡足类头足类和虾、蟹等。分布于柬埔寨、中国、关岛、琉球群岛、日本、韩国、马来西亚、缅甸、北马里亚纳群岛、菲律宾、泰国、越南。
基本信息

背鳍Ⅷ,Ⅰ-30~32;臀鳍Ⅱ,Ⅰ-27~28;胸鳍21~22;腹鳍Ⅰ-5。侧线鳞47~52。棱鳞32~34。鳃耙13~14+36~38。体长为体高4.2~4.8倍,为头长3.4倍。为尾柄长17.7~18.8倍。头长为吻长2.8~4.4倍,为眼径3.3~3.5倍。
体纺锤形,稍侧扁;尾柄宽大于高。头小,侧扁。吻钝尖,幼鱼吻长等于眼径,成鱼吻长大于眼径。脂眼睑发达。口中大,斜裂。上颌骨后端几达眼前缘下方。上下颌有1行细齿列;犁骨齿群呈箭头形;腭骨及舌面中央成有细长齿带。鳃盖骨后缘光滑。鳃孔大。鳃盖膜不与峡部相连。
头及体均被小圆鳞。第二背鳍和臀鳍有1低鳞鞘。侧线前部广弧形,直线部始于第二背鳍11~13鳍条的下方,弯曲部等于或长于直线部。棱鳞存在于侧线直线部的全部。
背鳍2个,相距甚近。第二背鳍基底长,与臀鳍同形。臀鳍前方具2游离棘。第二背鳍和臀鳍后方各有一小鳍。胸鳍镰状。腹鳍胸位。尾鳍叉形。
体背部蓝灰色,腹部银色,鳃盖后上角与肩带都共有一黑色小圆斑。第二背鳍前部上端有一白斑。
初孵仔鱼全长1.06~1.27毫米,卵黄囊长圆形、伸出吻前,油球位于卵黄囊前端,表面有黑色。全长2.0毫米仔鱼卵黄即将吸收完,口裂出现,头部星状黑色素细胞移至两眼间,卵黄囊表面出现枝状黑色素细胞。全长2.25毫米仔鱼眼内出现黑色素,听囊清晰,眼上方、大脑两侧各有少数星状黑色素,下颌缘出现1~2星状黑色素,肌节10+14对。
全长3.95毫米仔鱼前鳃盖骨出现7棘,背、臀鳍原基出现,鳍膜上出现弹性丝,尾下骨形成,胸部和腹缘出现色素。全长6.26毫米仔鱼肌节8+14对,前鳃盖骨第四棘最长,第二背鳍出现部分鳍条,尾浅凹,颅顶有数个菊花状色素,第二背鳍下缘有1行色素,臀鳍条间出现数个星状色素。全长10.88毫米稚鱼,上颌有数个小牙,前鳃盖骨第三棘最长,腹鳍已分化出鳍条,眼后鳃盖骨上出现少数菊花状色素,第一背鳍膜间出现星状色素。全长15.14毫米稚鱼,鼻孔已分为2个,前鳃盖骨棘较前期退化,枕骨嵴已消失,各鳍完善,吻、上颌、颅顶和体侧菊花状色素增多。全长16.31毫米,两颌均有小牙,2鼻孔接近眼前缘,前鳃盖骨中间棘最长,各鳍发育完全,尾鳍鳍条出现分节,两颌星状色素增多,体侧尚未发现鳞片。

蓝圆鲹为暖水性中上层鱼类。常聚集成群巡游于近海。喜集群洄游,白天常起群上浮,夜间有趋光性。具有较长距离洄游习性。中国台湾西侧和台湾以北、水深100~150米分别为越冬场,台湾以北越冬场鱼群在3~4月分批游向浙江近海,5~6月经鱼山渔场进入舟山渔场,7~10月分散在浙江中部、北部和长江口渔场索饵,10~11月分别返回越冬场。
蓝圆鲹属广食性鱼类,饵料组成随海区饵料生物优势种类而变化,中国长江口和浙江北部近海,主要摄食磷虾、毛颚类,其次是翼足类端足类、其他小型鱼类桡足类头足类和虾、蟹等。成鱼昼夜摄食强度变化较大,高峰在黄昏和黎明。

分布于柬埔寨、中国、关岛、琉球群岛、日本、韩国、马来西亚、缅甸、北马里亚纳群岛、菲律宾、泰国、越南。 中国东海有3个种群即九州西岸、东海和闽南至粤东种群。东海种群分布于台湾海峡中部(北纬24°附近)到济州附近(约北纬30°南北),最东可达东经126°30'。
蓝圆鲹分布图

产卵场分布范闱较广,以福建中部至浙江屮部近海为主,长江口海区产卵期为6~7月。绝对生殖力为25200~218800粒,平均89200粒。卵球形、分离,浮性,卵径0.67~0.80毫米,卵黄呈大泡状裂纹,油球1个、油球径0.19毫米。受精后1小时形成8细胞,受精后3小时25分钟进入高囊胚期,受精后11小时后胚体围绕卵黄1/2周、原口封闭、克氏泡出现,受精后15小时胚体围绕卵黄约4/5、背面黑色素在听囊后分成2行,黄色素增至5对。

保护级别
列入《世界自然保护联盟濒危物种红色名录》(IUCN 2017年 ver 3.1)——无危(LC)。
2007年12月12日,列入《中国国家重点保护经济水生动植物资源名录(第一批)》。

蓝圆鲹为中国主要经济鱼类之一,供鲜销和腌制食用。鱼肉组胺酸含量较高,捕获后放置时间较长会加速组胺酸的分解,产生大量组胺,人食后发生过敏性食物中毒。患者感到头晕、胸闷、舌麻发大、面有潮红、心跳、全身无力、四肢发麻、口渴、恶心。个别有呕吐、发冷等症状。一般6~8小时自愈,无死亡。在中国江苏、浙江、上海等省市发生过多起中毒事例。因此,发现这类鱼货不新鲜时,不要食用。

六带鲹,学名:Caranx sexfasciatus ,鲹科鲹属的一种暖水性中上层鱼类,著名的游钓…




竹荚鱼,日语称:あ じ 也称马鲭鱼。广泛分布于我国沿海及朝鲜、日本沿海等水域。这种鱼为中上层洄游性…




蓝圆鲹属鲹科、圆鲹属鱼类。体呈纺锤形,微侧扁。下颌稍突于上颌。上颌延伸至眼前缘之下方。上下颌各具一…




竹荚鱼,日语称:あ じ 也称马鲭鱼。广泛分布于我国沿海及朝鲜、日本沿海等水域。这种鱼为中上层洄游性…




蓝圆鲹属鲹科、圆鲹属鱼类。体呈纺锤形,微侧扁。下颌稍突于上颌。上颌延伸至眼前缘之下方。上下颌各具一…




金鲳鱼属硬骨鱼纲、鲈形目、鲹科、鲳鲹属,学名卵形鲳鲹,俗名黄腊鲳、金鲳。该鱼体侧扁,卵圆形,…




六带鲹,学名:Caranx sexfasciatus ,鲹科鲹属的一种暖水性中上层鱼类,著名的游钓…




金鲳鱼属硬骨鱼纲、鲈形目、鲹科、鲳鲹属,学名卵形鲳鲹,俗名黄腊鲳、金鲳。该鱼体侧扁,卵圆形,…


















