鲈鱼(Lateolabrax japonicus),又称花鲈、寨花、鲈板、四肋鱼等,俗称鲈鲛,与黄河鲤鱼、鳜鱼及黑龙江兴凯湖大白鱼并列为“中国四大淡水名鱼”。我国的鲈鱼品种以松江鲈为主,又名四腮鲈鱼,也称虎头鱼。
鲈鱼,体长侧扁,下颌长于上颌,肉坚实呈蒜瓣状,鱼鳔可制鱼肚,常清蒸食用。
鲈鱼肉质洁白肥嫩,细刺少、无腥味,味极鲜美,富含丰富的蛋白质和维生素,可入药,是一种极其珍贵的补品。
一般体长30-40cm,体重400-1000g,已成为名贵经济鱼类之一,也是发展海水养殖的品种。
基本信息

《嘉佑本草》载:“鲈鱼,多食宜人,尤良。又暴干甚香美,虽有小毒,不至发病。”《本草纲目》云:“黑色曰卢,此鱼自质黑章,故名。淞人名四鳃鱼。鲈出吴中,淞江尤盛。四、五月方出,长仅数寸,状微似鳜而色白,有黑点,巨口细鳞,有四鳃。”李时珍认为,鲈鱼即松江的四鳃鱼,但据所述其状微似鳜鱼而色白,有黑点,巨口细喙。

以松江鲈鱼为例。
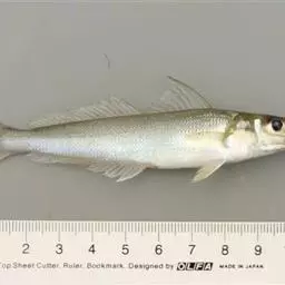
体较长,前部平扁,粗大,亚圆筒形,向后渐侧扁细小;背缘和腹缘浅弧形;背缘和腹缘浅弧形,躯干前半部稍高,腹鳍基部处体最高;尾柄低长。头宽大,平扁,背缘浅弧形,与上颌相交约25度,头部腹缘浅斜。吻宽大,圆钝,吻长约为眼径2倍。鼻孔2个。眼小,圆形,上侧位,距鳃盖骨后缘略小于距吻端2倍。口宽大,端位,口裂低斜。唇肥厚。上颌稍长于下颌,上颌骨露出,后端圆钝,伸达瞳孔后缘下方。上下颌、犁骨及腭骨均具绒毛状牙群。舌宽厚,圆形,前端稍游离。鳃孔宽大;第四鳃弓后无裂孔。鳃盖膜相连,与峡部相连。鳃盖条6。鳃耙短小,颗粒状。假鳃发达。鼻棘1个,钝尖。吻背前颌骨突高大。鳃盖骨具1低棱,端部扁钝。下鳃盖骨和间鳃盖骨无棘。胸鳍基部上方无肱棘。眼间隔凹入。前鼻孔和后鼻孔均具短管状皮突。其他部位无凹洼,无皮瓣。
体无鳞,散具颗粒状和细刺状皮突,无骨板。头部无鳞。各鳍均无鳞。侧线几平直,略上侧位,伸达尾鳍基底。
背鳍连续,起点位于鳃盖骨后缘稍后上方;鳍棘部较短小,胸鳍宽大,腹鳍短小,尾鳍截形,微凸。
体腔中大,腹膜浅灰色。胃囊状,壁厚。肠短于体长,盘曲2次。幽门盲囊6个。无鳔。
体黄褐色,具斑纹和斑点。吻侧、眼下、眼间隔和头侧具褐色条纹。鳃盖膜橘红色。体侧在背鳍第二至第四鳍棘下方具1条纹,伸达鳃孔上角,背鳍第五至第九鳍条下方和最后鳍条下方以及尾鳍基底各具2横纹。背鳍鳍条部,臀鳍、胸鳍和尾鳍具多条点列横纹。臀鳍橘红色。腹鳍白色,无斑纹。

冷温性海淡水洄游鱼类,体小型,体长约100mm。在淡水中生长肥育,栖息于清澈流水的底层,日间潜伏,夜晚活动,捕食虾类和小鱼。一年即达性成熟。在上海松江地区,亲鱼于每年11月开始向河口洄游,再由河口移向浅海。洄游开始时,性腺尚未成熟,洄游入海而逐渐成熟。降海洄游时雄鱼较早,雌鱼稍晚。一般雄鱼先到产卵场,钻入牡蛎堆成的洞穴中,等待雌鱼前来产卵。产卵后雌鱼离去;雄鱼具有护卵习性,留守洞穴保护卵块,常用胸鳍拂水,供卵子得到充分氧气。繁殖期间不摄食。经过降海和繁殖以后的亲鱼非常瘦弱。繁殖后的亲鱼移向沿海近处索饵。产卵场在潮间带。黄海南部的砺牙礁是松江鲈的一个产卵场,产卵期为2月中旬至3月中旬。约经26天卵子孵化为仔鱼,雌鱼怀卵量5100-12800粒,卵黏性,粘结成块状,卵块呈淡黄色,橘黄或橘红色。幼鱼从4月中旬开始向近岸移动,溯河进入淡水成长。幼鱼生长迅速,两个月平均长度增加3.2倍。幼鱼主食浮游动物。为一名贵鱼类,因肉味鲜美而闻名中外,以上海松江县所产者最为著名。

分布于太平洋西部,我国沿海均产,以黄海、渤海较多,渔期为春、秋两季,每年的10-11月份为盛渔期。

在我国,有关于鲈鱼的品种相对比较多,大部分的鱼类均可以被称之为鲈鱼,目前为止,比较常见的鲈鱼主要包括四种,分别是海鲈鱼、松江鲈鱼、七星鲈鱼以及加州鲈鱼。
又称七星鲈、海鲈,学名为Lateolabraxjaponicus,属于花鲈科、花鲈属,俗称鲈鱼(bass)。分布于近海及河口海水淡水交汇处。
花鲈肉味鲜美,肉质细嫩,综合营养价值高。有研究比较了淡水养殖和海水养殖花鲈的营养成分,发现海水养殖花鲈感官评分、蛋白含量均高于淡水养殖的花鲈。
花鲈属于热带性鱼类,我国的广东、广西等地因温度适宜于鲈鱼的生长已进行大规模养殖,成为我国花鲈养殖的主要地区。
松江鲈鱼 松江鲈鱼(TrachidermisfasciatusHeckel),别称四鳃鲈、媳妇鱼、花鼓鱼等,隶属于鲉形目(Scorpaeniforme)杜父鱼科(Cottidae)松江鲈鱼(Trachidermis)的一类降海洄游名贵鱼类,其主要分布于日本南部海湾、朝鲜半岛西岸、中国沿海东北部海区以及它们相应的河流下游。松江鲈鱼作为一种降海产卵鱼类,每年在淡水水域育肥后,11月份开始洄游至河口或近海水域(由于水温等环境因素的影响,不同海区产卵及洄游时间略有差异)。雄雌鱼除在繁殖期间,形态差异不明显而不易区分,在自然环境中卵多产在隐蔽的牡蛎壳堆或石缝内,雌鱼产卵后,由雄鱼护卵直至子代出膜,其中大部分的亲鱼在当年死亡。人工养殖条件下,不需要经过淡水育肥直接在全海水环境下繁殖养殖,松江鲈鱼耐受的盐度范围较广(0~3.3%),生长适宜温度为16~25℃。受精卵孵化适宜温度4~14℃,最适温度10~11℃。
大口黑鲈(Micropterussalmoides,俗称加州鲈),隶属鲈形目(Perciforme),太阳鱼科(Ceutrarchidac),黑鲈属(Micropterus)。大口黑鲈食肉性温水鱼类,原产美国加利福尼亚州密西西比河水系。其生长迅速、抗病力强、适温性广、肉质鲜美等特点,现已推广全国各地,成为国内重要的淡水养殖品种之一。广东省养殖量占全国的75%。
有研究分析了海鲈鱼和大口黑鲈的营养成分,发现海鲈鱼的蛋白质、氨基酸含量均高于大口黑鲈。
明显的五道黑色竖纹 也称赤鲈、五道黑,隶属于鲈形目鲈亚日鲈科鲈属。河鲈体侧扁,呈长椭圆状,头尖、小,略呈三角形;体呈棕褐色,背部颜色较深,体侧从第一背鳍起点至第二背鳍末有5条较宽的黑斑,腹部颜色灰白。
河鲈喜栖息于植物丛生地带,通常有两个生物学类群:一种是沿岸性生活,个体较小,生长也慢些,以无脊椎动物为食;另一种是栖居深水的,生长较快,个体大些,为肉食性。
河鲈性凶猛,在我国仅分布于新疆额尔齐斯河、乌伦古河水系,是额尔齐斯河、乌伦古河主要经济鱼类。河鲈广泛分布于欧洲各地和西伯利亚地区,而我国仅在新疆布尔津地区产此鱼。
由于其具有肉味鲜美、营养价值高、生长快和抗病力强的特点,备受人们青睐。20世纪60年代末河鲈被引至博斯腾湖,20世纪70年代至90年代初,河鲈成为博斯腾湖的主要经济鱼类,2001年在我国新疆进行该鱼人工繁殖并获得成功。

加州鲈鱼 在进行加州鲈鱼的养殖池塘条件设定时,首先需要满足我国《农产品安全质量无公害水产品研制场地环境要求》政策中的相关要求,必须将加州鲈鱼养殖地点架设在交通运输便捷、生态环境优良的养殖地带。期间,养殖池塘中的水质管控指标必须满足《渔业水质标准》中的相关要求。在这一基础上,某地在进行加州鲈鱼养殖环境选择时,选用了面积8-10*668m2的池塘,建塘水深为3.5m,形状修建为长方形,塘底为材质为沙土,保障水量充沛的同时,还要求排水足够方便。另一方面,在进行池塘养殖的地点选择时,应该尽量远离城市工业生产区,在电力配置方面也应该足够完善,同时保持光照环境优良。
在进行池塘养殖设施的配置上,应该从以下几方面着手:
首先,是增氧设备的配置。在每1hm2的池塘面积设定下为其配置叶轮式增氧机15台,要求功率达到1.2kW;15台抽水泵,要求功率达到3kW;微孔增氧设备2台,用以更好的保障池塘内氧气量保持平衡状况,同时也能够更好的控制新水更换频率。
其次,在进行池塘养殖环境管理时,一定要做好池塘底部淤泥排污工作。随着鲈鱼养殖时间的延续,鱼塘底部位置很容易日渐累计大量的有害物质,此类物质的存在不进会造成水质污染,还会导致各类病害传播,为加州鲈鱼养殖带来死鱼风险。针对此类问题加以解决时,应该通过建设鱼塘底排污自溢系统实现,将鱼塘底层的养殖沉淀物排出,并经成沉降池发酵沉淀后实施渣液分离,沉淀物可以用作养殖户农作物肥料,也可以对外售卖,增加养殖业外收入。同时,在提升养殖水质的同时,也优化了池塘加州鲈鱼的品质和养殖量。
在进行加州鲈鱼的饲料管理及投喂养殖技术应用时,应该采用鲈鱼专用的膨化饲料进行投喂,而在投喂期间,应该提前搭设好相应的投喂饲料台,首先确定位置,保持适中,然后采用竹制或是木质的跳板将其深入饲养池塘的水面中,要求距离池塘边岸的5-6m之间。在进行饲料投喂时,应该做好喂养时间的控制,实现定量、定质、定时,比较常见的喂养时间会控制在2次/d,投喂时间段为早晨日出一次、晚上日落一次。投喂的饲料食量具体需要控制在鱼平均体重的2%-4%之间。另一方面,在进行加州鲈鱼的饲料投喂过程之中,还需要特点注意投喂的范围和保持适当的节奏,保持“慢-快-慢”的投喂节奏,此节奏的掌握,能够在最大程度上保障池塘中95%以上的加州鲈鱼能够在喂食期间获取到足够的食物。需要特别注意的是,在进行鱼苗的喂养时,不能直接投喂饲料,而是应该直接以生鲜喂食,如此才能维持鱼苗自身身体生存状况和生长所需要营养成份。
(1)控制水位
在加州鲈鱼的养殖过程中,为了能够最大程度保障鲈鱼饲养的经济效益,首先需要做好的工作就是控制好池塘现有的水位。早期阶段,池塘鱼苗放养时期的水位控制作为重要,该段时期的水体温度大多比较低,主要是受到气温低的影响导致的,此种水体温度会在一定程度上对水产生物的正常生长造成影响。为了解决这一问题,预防其出现,应该充分就池塘水位进行降低处理,最好确保池塘的深度能够长期保持在0.8-1m左右,该水位高度能够在极大程度上促进池塘内水温的提升。当池塘内鲈鱼日渐长大后,按照实际情况进行逐步加深池塘深度,但需要控制在0.5-2m之间,尤其在加州鲈鱼即将长成打捞阶段,水位的控制需要严加注意,预防水位控制不当降低水温造成鲈鱼死亡的事件发生。
(2)关注池塘溶氧变化
在加州鲈鱼的养殖过程中,对于池塘内溶氧要求相对也是十分高的, 加州鲈鱼 需要提前针对池塘内的溶氧量进行检测,唯有确保检测结果超出5mg/L方能满足加州鲈鱼生存需求,与此同时,作为池塘管理者,应该严格按照增氧机的使用原则进行增氧机的参数设定。例如在某地在进行加州鲈鱼养殖时,由于其处于南方地区,所以在夏天的午后14:00-15:00时间段内开机使用增氧机,比较有利于池塘内表层和地层水的结合效率。而对于部分阴天潮湿气候时,可以选择次日早晨时间段打开增氧机,通过搅水的方式促进池潭内增氧,开机时间直至日出时间。另一方面,由于阴天或是雨天时期光合作用并不理想,所以池塘中的溶氧量不会出现过饱和的情况,即便是开机也无法发挥出搅水增氧的作用,所以该阶段内无需打开增氧机,节省养殖成本。
(3)科学合理应用微生态制剂进行池塘水质管理
在养殖加州鲈鱼时,由于南方地区的气温相对比较高温,所以在池塘养殖期间应该时刻注重对养殖池塘水环境的改善工作,否则很容易造成池塘内鲈鱼产生应急反应,从而形成鱼群病害问题。为了充分解决这一问题,比较常用的方法就是在池塘中有效使用微生态制剂,在制剂的种类选择上,可以选用光合细菌、底质改良剂等,将其撒入加州鲈鱼养殖池塘内,借以最大程度降低池塘换水对鲈鱼生长或是生存的影响。
除此之外,还需要注重加州鲈鱼的肝胆病治理问题,病发初期鲈鱼身体表面五明显症状,仅是在鱼鳍条基部或尾鳍基身体部位出现轻微发红的状况,如病重则会表现出游动缓慢、体色发黑、体表两侧充血问题。针对此种问题加以解决时,就必须做好内服保健工作。例如,在加州鲈鱼养殖过程中,可以在池塘中喂食胆汁酸,其能够有效促进鱼体内干细胞分泌胆汁,将积累在肝脏和肠道内的毒素或是重金属等有害物质排出体外,增强肝脏功能,促进加州鲈鱼肝细胞再生。
在加州鲈鱼的池塘养殖过程中,日常管理中应该做好以下几点工作:首先是池塘巡视工作的开展,随着我国整体养殖水平的不断提升,养殖机械设备的使用也愈加频繁,有效的降低了养殖人员的劳动量,但当前巡塘工作依赖机械无法完成,所以人工巡塘应该保持在一天3次的频率,早、中、晚各一次。其次,做好池塘养殖日常养殖记录工作,要求严格按照加州鲈鱼鱼苗放养、饲料投喂以及用药消毒的情况进行实况记录,为后续出现问题提供解决依据。最后,间隔20天定期进行池塘内加州鲈鱼养殖生长情况调查,可以进行抽样查看,根据抽样结果及时调整现有的饲料投喂标准。

河鲈 每100g鲈鱼含热量418.4KJ、蛋白质18.6g、脂肪3.4g、碳水化合物0.4g、钙56mg、铁1.2mg、磷131mg、钾205mg、钠144.1mg、铜0.05mg、镁37mg、锌2.83mg、硒33.1μg、VA 19μg、VB1 0.03mg、VB2 20.17mg、VB 33.1mg、VD 30μg和VE 0.75mg。鲈鱼的主体成分包括壬醛、(E)-2-壬烯醛、(E,Z)-2,6-壬二烯醛、辛醛、(E)-2-癸烯醛、己醛、庚醛、(Z)-4-庚烯醛、1-辛烯-3-醇等化合物。鲈鱼脂肪中的非饱和脂肪酸含量占59.7%,其中的EPA和DHA对大脑发育和记忆力有很大作用。在鲈鱼的氨基酸组成中,呈鲜味的特征性氨基酸主要为天冬氨酸、谷氨酸、甘氨酸和丙氨酸,其总量占鲈鱼肌肉氨基酸总量的42.5%。鲈鱼体内含有的3种胃蛋白酶原(PG1、PG2、PG3)和2种胰蛋白酶,均是促进消化吸收、降解食物的关键物质。鲈鱼血中也含有较多的铜元素。

历代本草多记载:鲈鱼对人体有良好的滋补作用,有补五脏、益肝脾、健胃、主安胎、治水气及强筋骨等功效。农业部在2004年发布相关行业标准中将鲈鱼列为无公害食品。在对鲈鱼的(n-6)/(n-3)多不饱和脂肪酸成分进行分析之后,英国卫生部门也将鲈鱼列入了无公害食品。鲈鱼功效:健脾、补气、益肾及安胎。宜食:适宜贫血头晕、妇女妊娠水肿和胎动不安者食用。鲈鱼还具有补肝肾、益脾胃以及化痰止咳之功效,对肝肾不足者有很好的补益作用。据分析,鲈鱼自身含蛋白质、脂肪、钙、磷、铁、铜、VA、VB1、VB2和烟酸等成分。食用鲈鱼可补脑,尤其对儿童成长期的脑部发育有很大帮助;另外,由于鲈鱼血中含有较多的铜元素,因此铜元素缺乏的人可食用鲈鱼来补充。有研究表明,食用鲈鱼可治疗小儿百日咳、小儿消化不良等疾病。研究者还发现,食用鲈鱼不仅有利于伤口愈合,还对脾胃虚弱、食少体倦或气血不足、脾虚水肿、肝肾不足、筋骨不健、胎动不安等疾病有良好的作用。
《本草经疏》云:“鲈鱼,味甘淡气平与脾胃相宜。肾主骨,肝主筋,滋味属阴,总归于脏,益二脏之阴气,故能益筋骨。脾胃有病,则五脏无所滋养,而积渐流于虚弱,脾弱则水气泛滥,益脾胃则诸证自除矣。”《食经》:“主风痹,面疱。补中,安五脏。鲈鱼肉多食发痃痔疮肿,不可同乳酪食。”《食疗本草》:“安胎补中。”《嘉祐本草》:“补五脏、益筋骨、和肠胃及治水气。”《本草衍义》:“益肝肾。”《随息居饮食谱》:“鲈鱼,多食发疮患癖,其肝尤毒。中其毒者,芦根汁解之。”
首先,患有皮肤病的患者应该避免食用鲈鱼,因为鲈鱼本身中含有的物质会加剧皮肤的瘙痒程度。其次,鲈鱼的鱼肝也不能食用,在食用前应祛除干净。
秋末冬初,鲈鱼肥美,其体内积累的营养成分最丰富,是食用鲈鱼 尖吻鲈 的最佳时节。鲈鱼一般采用微冻保鲜使其肉质鲜美。常人均可食用鲈鱼,更适宜于贫血头晕、妊娠水肿和胎动不安者食用,以每餐食用100g为宜。但需注意患有皮肤病或疮肿者忌食鲈鱼。鲈鱼忌与牛羊油、奶酪和中药荆芥同食。
此外,鲈鱼肉中含有丰富的铁元素,不易消化吸收,如食用时配以醋、酱油或柠檬,则可促进消化吸收。但在食用时一定要注意鲈鱼的新鲜度。
荠菜烩鲈鱼、清蒸鲈鱼、云中鲈鱼、八珍四腮鲈、豆瓣鲜鱼面、脆鳞鲈鱼、泰式柠檬蒸鲈鱼、金华麒麟蒸鲈鱼、香辣焗鲈鱼、五彩鲈鱼、XO酱蒸鲈鱼配蔬菜豆腐、山椒鲈鱼、黄芪鲈鱼盅、酒烤鲈鱼、柠檬奶香鲈鱼、蒜酥蒸鲈鱼、脆皮洋鲈鱼和炭烤鲈鱼排。
辣味烤鱼
鲈鱼1条、藕2节、蒜苗2根、香菜1把、芹菜1根、葱半根、姜5片、 烤鲈鱼 八角1个、茴香籽适量、干辣椒6个、花椒1小把、豆瓣酱1大勺、生抽适量、白糖适量、料酒适量、色拉油适量。
1、鲈鱼切开,大葱斜切片。姜切片。蒜苗、芹菜、香菜切段
2、平底锅烧热,放油,鲈鱼皮朝下中火煎
3、莲藕切片煮熟,把莲藕平铺在底,放上煎好的鱼
4、煎鱼的锅,放大葱,姜,蒜苗,香菜,芹菜,郫县豆瓣酱,干辣椒,八角,小茴香炒香,加生抽,料酒,糖,盐调味
5、炒好的调料汁倒入容器,铺在鱼的周围,烤箱200度放入容器烤10-15分钟,出炉撒上预留的香菜叶子。
番茄鲈鱼汤
主要功效:益脾、开胃 番茄鲈鱼汤
推荐人群:有青春痘的青少年
材料:番茄3个、鲈鱼1条、柠檬2薄片、生姜3片、葱适量(4人量)。
烹调方法:番茄洗净、去蒂、切块;鲈鱼斩杀刮鳞去内脏,洗净,起鱼片。锅内加水适量,入姜片及少量食油,水沸后加鲈鱼片,后加柠檬片、番茄,煮熟后加食盐适量调味,撒少量葱花即可。
清蒸鲈鱼
主配料:河鲈鱼一条
辅料:葱姜丝、青红椒、香菜段
调料:生抽、蒸鱼豉油、料酒、盐、鸡精、白糖、白醋
清蒸鲈鱼 做法:鱼的去腥方法,刮鳞、去腮、取内脏、去黑膜、去头盖皮、80度温水烫、刮除粘液:口将鱼背鳍两侧各划一刀深1.2厘米长12厘米的斜口,使鱼的肉厚度相对一致;用料酒、葱姜、盐腌制10分钟:盘底垫葱姜,蒸前浇两小勺油,蒸锅内加入清水和白醋,大火足气蒸10分钟,出锅换盘:青红椒切细丝,冷水泡至打卷;葱姜丝撒在鱼身上,用葱鱼豉油及上述调味品加一倍的开水调成碗汁;将烧油至七成热,浇在鱼身上的葱姜丝上,碗汁入锅开起浇入盘底,放入香莱段及青红椒丝即成。

古淞江鲈鱼、长江鲥鱼、黄河鲤鱼和巢湖银鱼被誉为“四大名鱼”,营养丰富,味道鲜美,流传至今。历代赞誉松江鲈美味的诗文、传说、载述颇多。汉代的《春秋佐助期》:“吴中以鲈鱼为脍,苑菜为羹,鱼白如玉,菜黄若金,称为金羹玉脍,一时珍食。”
《三国演义》中也有“左慈掷杯戏曹操”的故事,说明鲈鱼早在三国时期已闻名天下。自汉代以来,鲈鱼就因是钱塘江与吴淞江流域的特色名菜而闻名江淮。
宋代谈钥所撰的《吴兴志》中记载:松江鲈“肉细美,宜羹,又可为脍,张翰所思者”。据传,吴人献松江鲈于炀帝,炀帝品尝后,大加赞赏,称其为“金齑玉脍,东南佳味也”。时至清代,鲈鱼被康熙、乾隆品尝后,誉为“江南第一名菜”,其名声更为远扬。叶圣陶老先生也赋诗《得鲈酬诗》:“红腮珍品喜三分,持作羹汤佐小醺。”
当代作家黎先耀先生的科普作品集以《莼鲈之思》命名。

带鱼是鲈形目带鱼科带鱼属的鱼类,俗称刀鱼、白带鱼、牙带鱼、裙带、肥带、油带等。体延长呈带状,甚侧扁,…




四带笛鲷,学名:Lutjanus kasmira ,为笛鲷科笛鲷属的一种鱼类。全长达300毫米。体…




图丽鱼是慈鲷科、图丽鱼属鱼类。体长为33厘米,最大体重约1.1千克。鱼体呈椭圆形,侧扁,头大,嘴大,…




淡水石斑鱼是鲈形目丽鱼科丽体鱼属鱼类,又名马拉丽体鱼、花老虎等。体侧扁,纺锤形;口上位,…




蓝点马鲛,又名鲅鱼、马交、燕鱼,是鲭科马鲛属的一种暖水性大型中上层洄游鱼类。体呈纺锤形,…




招财鱼,又名丝足鲈、战船鱼、点额丝足鲈,是鲈形目长丝鲈科丝足鲈属鱼类。招财鱼体呈银铜灰色,…




黑尾宅泥鱼,体呈圆形而侧扁,吻短而钝圆。口中型;两颌齿小而呈圆锥状,靠外缘之齿列渐大且齿端背侧有不…




新月锦鱼又称青衣龙,花面龙,花面绿龙,为鲈形目,隆头鱼科,锦鱼属一种热带地区近岸珊瑚礁海域生活的鱼类。…


















