棘鳅(学名:Mastacembelus aculeatus)为刺鳅科初级澹水鱼类。
体呈长条状,似泥鳅,吻端尖且向前突出,口下位。背、臀鳍前有一排分离之硬棘。鱼体呈绿褐色,体侧具14-17条不太明显之暗色横带;背鳍基底下方有6-7个黑色镶白边之圆形斑。背鳍基底长由鱼体全长之2/3处直达尾柄,但不与尾鳍相连;无腹鳍;臀鳍亦长几乎与背鳍平行。最大体长可达38公分。
底栖性鱼类,对水质之适应性强,能生活于澹水与半澹咸水区。白天躲藏于砂泥中,夜晚出来觅食,利用长长的鼻子及口挖掘砂泥中的猎物,性喜吃食活饵,包括孑孓、红虫、小型甲壳类甚至蚯蚓,属肉食性鱼类。
主要分布在东南亚地区的泰国、印尼及马来西亚等国家之河流中。
基本信息

喜好弱酸性的软水,是属夜行性的,故白天均潜伏砂中,只留鼻与口在外,或隐藏于暗处,静待夜晚的来临,始出来活动觅食。虽性温和不会伤害他鱼,但因个体大,时亦有追逐小鱼的行为,故最好不要与小型鱼混养。又因常在砂中穿梭,水草常会被连根挖出,所以水草的种植需用石块压住保护。水箱必须密盖,以防止其爬出箱外。为底栖性鱼类。生活于多水草的浅水区。以水生昆虫及其它小鱼为食。
养殖的适宜水温24-28℃、硬度5-10dGH、Ph值6.0-6.5
喜欢活食,适合有水草和沉木的水族箱,可以与同体形鱼混养。

原普遍分布于中国台湾省台北、桃园台地各沟渠、池沼中,但因栖所破坏及污染,已极为罕见,可能近乎绝迹。

身长350毫米。雌雄无明显差异,饲养较易。本鱼的体形极长,颇似鳗鱼,又因眼前下方有小棘,背鳍前部亦有许多分离的小棘,故英文名之为“棘鳗”。咖啡色的身体上,有3-10个不规则的圆形黑斑,口小吻长,且可自由扭转,用此口吻在砂中挖采食物。前鼻孔呈管状,位于吻两侧;后鼻孔圆形,近眼的前缘。眼位于头部侧上方,表面覆以薄皮,眼下前方有一倒生小刺,埋于皮内。口下位,口裂几成为三角形,口角达眼前缘或稍为超过。上下颌为具绒毛状齿,呈带状排列。胸鳍小而又圆,无腹鳍,背鳍与臀鳍分别与尾鳍相连。背鳍前方有1排各自独立硬棘,约为31枚-33枚;臀鳍具棘三枚;尾鳍略尖。体鳞细小,侧线不太显著。体背为黄褐色,腹部为淡黄。头部从眼上向后有两条淡色线条,沿体背纵伸到尾鳍基。体背与腹侧有许多网状花纹,背鳍及臀鳍与尾鳍的基部网纹更为明显,体侧有三十余条褐色垂直条斑。有些个体条斑上端色比较深黑,有部分个体近腹侧条斑之间杂以短斑。背棘基黑褐色,胸鳍呈淡黄色或灰黄,其余各鳍呈灰色,臀鳍下缘常饰以白边。

分布于印度以东的东南亚之广大区域,台湾亦产,分布于台北桃园一带。

饲养条件
水质:无苛求;每5升水加1匙盐水温:24~26℃
放养形式:单养
活动区域:中、下层水域
饲养方法:棘鳅属于溪流底床上栖息的底栖鱼类,且性情凶暴动作迅速有食鱼性。所以千万不要和小型鱼混养。在饲养棘鳅时要铺设大量底沙,种植水草,然后要用岩石垒出大量洞窟或者是直接放置一截一截的竹筒供它们藏身。只要有洞穴或者竹筒你就可以看到他们将自己长长而柔软的身躯钻进去只露出脑袋的样子。非常可爱。喂养它们的饵料可以使用鱼肉的碎块、小鱼、蚯蚓等大型饵料。需要较大的水流食性、肉食性有鱼食性活动水层、底层。
性情:凶暴残忍、可同种混养。

生殖期大约在7月份。
棘鳅是体外受精,卵生,繁殖习性较特殊。
1.自由选择配偶。棘鳅须自由选择配偶,否则会发生搏斗而咬伤身体。养殖者把性成熟的雌鱼与雄鱼选出十余条,放入一个大的水族箱中,让它们自由配对。经过数天的认识,即可发现一部分的鱼总是双双一起游动,并占据水族箱的一个地方,不让其他个体靠近他们的领域。这表明自由配对已经成功。
2.鱼卵产在石块上。棘鳅虽然不营巢产卵,但它们喜欢把卵产在池底或石块上。因此在繁殖缸里应预先放入光滑的石块。亲鱼选好产卵场后,以嘴把环境清干净。雌鱼即游到石块上产下一行卵(5-10粒),雄鱼跟在后面对着卵射精液,如此多次,持续数小时,产卵结束。
3.亲鱼对后代关怀备至。产卵完后,亲鱼轮流用胸鳍对卵扇水,保持足够的溶氧量。经过数昼夜的照顾,受精卵孵化成仔鱼。亲鱼会将未受精的卵都吃掉,以免该卵腐败而保持新鲜的水质。在孵卵与仔鱼期间,亲鱼的性格也变得凶猛,不许其他鱼靠近卵或仔鱼群。
准备
1.备“一间”婚房。
棘鳅繁殖需要一只专门的鱼缸,产卵缸使用前刷净、消毒,然后放入准备好的优质水,水位只要求l/2即可,缸底放入一些光滑的石块。
2.备一缸好水。
净水先调节好硬度和酸碱度,然后再用充气泵充气3-4天后使用。为了方便,可以用凉白开水按一定比例加入蒸馏水,再充气2-3天后使用。
方法
以一雌一雄的配对方式,将两尾亲鱼置于45-70公升的水族箱中,加上打气和底板打气的过滤器,即可稳定地控制其中的水质。若是能配合饲育一些诸如红虫或赤虫(草蚊的幼虫),更可促进亲鱼的成熟和补充抱卵所需的营养。
在水族箱中放入光滑的石块,成为亲鱼清除并产卵的场所。将水族箱放置在较为僻静的地方(或是以布幔加以遮掩),就可以静待亲鱼自选配对产卵了。由于棘鳅须自由选择配偶。建议先将雌鱼先放入水族箱中5-7天,先行适应占领领域,再将鱼放入配对,会有较温和的配对成果。
一旦产卵后,可以将石块取出另置于浅盘或是水族箱中孵化,此时需要打气和添加一些药剂,防止受精卵受水霉菌一类的微生物侵犯而损失。在25-30℃的水温下,经过5-9天的孵化期之后,就会见到小生命孵化出来。
疾病:
疾病的预防:
1.消毒
棘鳅生病原因很多,包括由买来的病鱼传染,因温度太低引发的白点病及水质因残食腐败或鱼粪污物分解变坏所致等。新购的棘鳅往往会带有病菌或寄生虫,因为病情较轻,还没有出现较明显的病症,购买时不易察觉,如果不采用药物处理直接放入鱼缸中,快则2-3天,慢则1周至2周就会发病,甚至造成死亡。新购的棘鳅即使是健康的,通过捕捉和路途运输,有时也会造成鱼体受伤而引起细菌感染。因此,对新购棘鳅进行防病消毒是一项很重要的工作。
较常用的防病消毒药物有两种,第一种是食盐,食盐比较安全、有效,并且来源方便。每10公斤水加100-300克,即配成1-3%浓度的盐水,消毒5-20分钟左右,浸浴时间长短根据水温高低而定,可杀灭大多数病菌和寄生虫。
第二种是高锰酸钾,可以直接加入鱼缸中。用药浓度是10公斤水用0.03克高锰酸钾。0.03克重量高锰酸钾的秤重不方便。因此,先秤1克高锰酸钾充分溶解在1公斤水中,即配成千分之一浓度的药液,储存在可口可乐瓶中备用,再用吸管或针筒吸取30毫升高锰酸钾药液加入10公斤水中,用药后24小时进行换水。不过需要注意,高锰酸钾的毒性较大,用药后要注意观察棘鳅的活动状态,一发现有异常,立刻进行抢救,即大量换水或将棘鳅捞出。
2.水的处理
鱼缸中残饵和排泄物等有机物的积累会引起水质恶化。水体中有机物有两种形式存在。
一种是尚未溶解的颗粒状固体有机物,另一种是已溶解于水中的有机物。已溶解的有机物被细菌分解会变成有毒的氨氮和亚硝酸盐,如果水体中生长有足够数量的有益细菌(如硝化细菌)就会把有毒的氨氮和亚硝酸盐分解成无毒的物质(硝酸盐)。
因此,水质净化有两个目的:①把尚未溶解的固体有机物过滤丢;②培养足够数量的硝化细菌,分解水体中有毒的氨氮和亚硝酸盐。具体的处理方法有两种
第一种,使用水处理循环设备。大型、中型鱼缸使用循环过滤设备,小型鱼缸可使用生化棉。商品化的水处理循环过滤设备的种类很多,有内置式,外置式等,也可以自己制造,大致的结构由三部分组成。①不锈钢或塑料制成的圆筒形外壳;②圆筒内放过滤棉、石英砂、塑料生化球或生化陶瓷环等;③小型水泵及道管。过滤棉、石英砂的作用是把水体中大颗粒有机物截留下来,因此经常需要清洗。
生化球和陶瓷环的作用是作为培养有益细菌的载体,用专业的术语来说是培养生物膜,主要是培养足够数量的有益细菌,把水体中有毒的氨氮和亚硝酸盐分解为无毒的硝酸盐。
第二种,是定期添加有益细菌。有益细菌的品种很多,常见的有光合细菌、硝化细菌、芽孢杆菌等。

①钓饵的选择:常用蚯蚓垂钓。蚯蚓的选择以大为好,接近筷子大小为适宜。大的蚯蚓可以防止其他的小鱼闹钩。长度,以串号钩后蚯蚓出钩尖一厘米为宜。切忌太长,因为棘鳅嘴尖,且较小,太长难于咬住钩。
②钓点的选择:靠近溪岸,水有回流的地点为上佳地点。
③其他补充:宜用沉底钓,让浮标直立;一年四季,刮风下雨,天气闷热,或者太阳猛烈,抑或是月白风清,此鱼都有出来觅食,皆可以垂钓;肉质接近鲇鱼,黄鳝等;烹饪之法也跟鲇鱼,黄鳝,唐虱等接近。

透红小丑,Premnas biaculeatus ,雀鲷科棘颊雀鲷属的一种鱼类。主要栖息于遮蔽的…




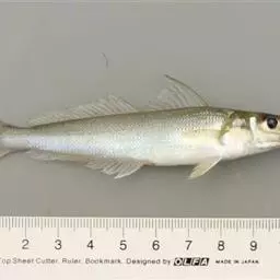
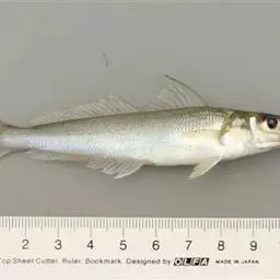
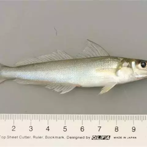
多鳞鱚,Sillago sihama ,鱚科鱚属的一种鱼类。主要分布于印度洋-西太平洋的热带海域,…




白姑鱼是鲈形目石首鱼科白姑鱼属鱼类,又名银姑鱼,白姑子,白米子,白鳘子,白梅。体延长,侧扁,…




金钱鱼,学名Scatophagus argus,英文名Spotted scat,商品名为金鼓鱼。…




孟加拉豆娘鱼,又称孟加拉雀鲷,为辐鳍鱼纲鲈形目隆头鱼亚目雀鲷科的其中一种,属杂食性,…




月鳢是鲈形目鳢科月鳢属鱼类,又称七星鱼、山花鱼、山斑鱼、张公鱼等。头大而宽扁;吻短而圆钝,…




孔雀鲷,Aulonocara jacobfreibergi Lwanda,慈鲷科孔雀鲷属。




孔雀鲷,Aulonocara jacobfreibergi Lwanda,慈鲷科孔雀鲷属。


















