沙塘鳢(sha tang li)(学名:Odontobutis obscurus)属鲈形目鰕鯱鱼亚目沙塘鳢科沙塘鳢属的一种鱼类。俗称:四不象、肉趴锥、呆鱼、瘌蛤蟆鱼、塘鳢、沙乌鳢、土才鱼、呆子鱼丶土憨巴、瞎嘎子、土狗公,木奶奶、虎头鲨、虎头呆、土婆鱼。是一种淡水小型食肉鱼。
基本信息

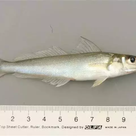
沙塘鳢体粗壮,头大而阔,稍扁平,腹部浑圆,后部侧扁。口 大,上位,斜裂达眼中心的下方。上下颌具细齿。犁骨无齿,眼小,突出。背鳍两个,各自分离,各鳍均无硬刺。胸鳍大,圆形,尾鳍后缘稍圆,无侧线。体呈黑褐色,带有黄色光彩,腹部淡黄,体侧有不规则的大块黑色斑纹,各鳍都有淡黄色与黑色相间的条纹。
体延长,侧扁或粗壮, 亚圆筒形。头平扁或侧扁。眼中大或小, 不突出于头的背面, 无游离眼睑。下颌常突出。上下颌具细牙, 腭骨常无牙。前鳃盖骨边缘具1弯向下前方小棘或无棘。体被栉鳞, 头部常被小圆鳞。无侧线。背鳍2个, 分离, 第一背鳍具6~8鳍棘, 第二背鳍具1鳍棘、8~10鳍条。臀鳍与第二背鳍同形。胸鳍大,基部不呈肌柄状。腹鳍胸位,具1鳍棘,5鳍条,左右两腹鳍相互靠近, 彼此分离,不形成吸盘。尾鳍圆形或稍尖。

沙塘鳢喜生活于河沟及湖泊近岸多水草、瓦砾、石隙、泥沙的底层。游泳力弱。冬季潜伏在水层较深处或石块下越冬,以虾、小鱼为主要食物。

沙塘鳢1龄鱼即达性成熟,4-6月初为产卵季节,产卵场多在背风的湖 沙塘鳢 湾内。雄鱼于晴朗的夜间或中午先在水深1-2米的岸边石洞、破瓦罐及蚌壳内营穴,发出“咕咕”叫声,引诱雌鱼入巢。产卵活动一般在早晨6-7时,水温约18-25℃时进行。卵整齐排列粘附于蚌壳、瓦片或石块上。雌鱼产卵后即离去,雄鱼则守巢护卵,直至仔鱼孵出。

沙塘鳢广泛分布于我国东南各省水域,在苏南习惯叫做痴虎呆子鱼,在苏北有些地方则叫做虎头鲨。

随着人们饮食观念由质量型向营养型的演变,以前不为人看重的沙塘鳢越来越受到消费者的青睐。随着社会经济发展的加快和自然水域的污染加剧,沙塘鳢的生存环境不断受到威胁,资源量剧减,这使得沙塘鳢的市场价格节节攀升,现已涨至150元/公斤左右,并且供不应求。沙塘鳢是安徽宣城的地方本土水产品,市场所售沙塘鳢成鱼主要靠捕捞为主。宣城市现代渔业有限公司在沙塘鳢人工繁殖技术上的突破,为广大养殖户池塘大面积精养沙塘鳢的苗种供应提供了保障,因此,根据市场需求,开展沙塘鳢的人工养殖,其经济效益将十分可观。
沙塘鳢虽属肉食性鱼类,但其食物大多为小杂鱼和经济价值低的虾,池塘套养能明显抑制池中野杂鱼、虾的繁衍,有助于增加池塘综合效益。沙塘鳢历来被归在高档水产品行列,清明前后,菜花金黄,沙塘鳢体肥籽满,成为长三角地区餐桌上独特的佳肴。其含肉多、少刺、肉味鲜美、营养丰富,每百克肉含蛋白质18.39克、脂肪0.98克、钙0.42克,还含有磷、铁、维生素等。人体必需氨基酸和鲜味氨基酸含量均高于一般鱼类,有滋补、益筋骨和肠胃、治水气、痔疮等功效。妊娠期和产妇多食有保健作用,与螺肉、河虾、竹笋、春韭共称为江南五大春菜名鲜

池塘要求水质清新、溶氧充足、无污染,面积以1~5亩为宜,用石砌塘基,塘底铺沙,且要平坦,排注水方便,水深1.5米左右。
当前,市场上的沙塘鳢大部分捕于自然水域,人工养殖的比例还比较低。沙塘鳢人工养殖方式也以池塘混养为主,受制于人工繁殖技术没有成熟,苗种多采集野外,作为“配养鱼”与其 沙塘鳢 他养殖品种混养在同一池塘内,养殖规模较小,鱼的规格、产量难以保证。
放苗前,池塘要排干水。清淤后,曝晒至池底干裂,曝晒后每亩用生石灰100~150公斤或用漂白粉5~10公斤消毒,以杀灭病原菌、野杂鱼和敌害生物。3~5天,在池底铺瓦筒、瓦片、大口径竹筒、报废大轮胎或灰色塑料管等作为栖息隐蔽物,然后用40目网过滤进水,水深60~80厘米,并施碳酸铵0.5~1公斤/亩及过磷酸钙0.05~0.1公斤/亩肥水,3~5天便可放鱼苗。入池前的鱼种可用5×10-6浓度的高锰酸钾溶液药浴5分钟左右。投放时要小心地从池边不离水面放鱼入池,对于活力弱、死伤残的鱼种应及时捞起。鱼种放养密度应根据养成的具体情况而定。
沙塘鳢成鱼既可混养也可单养,尤以混养为好。沙塘鳢饲养池中可种植一些水生植物,以供其栖息隐蔽,还可改善水质。混养不仅可让沙塘鳢捕食池中的野杂鱼,还可增加放养品种及产量, 沙塘鳢 有利于提高养殖经济效益。
一般在养殖河蟹、青虾和四大家鱼等的池塘中混养沙塘鳢,每亩放养体长2厘米的沙塘鳢夏花鱼苗1000~1500尾,可利用塘中的野杂鱼、虾作饵料,每亩可捕获沙塘鳢商品鱼50~75公斤。如利用小型池塘主养沙塘鳢,每亩放鱼种2500~3000尾,饲养7~8个月,亩产量可达120~150公斤左右。不同规格的鱼种应按大、中、小分池养殖,避免残食现象的发生。在饲养后期饵料不足的情况下,可在池塘中投放野杂鱼苗、抱卵青虾,让其在池中自然繁殖,以便连续给沙塘鳢供饵。
沙塘鳢对水质的要求不是十分严格,水质控制指标:水温13~32℃,pH值7.5~8.6,透明度30~50厘米,溶解氧4毫克/升以上,氨氮0.5×10-6浓度以下。定期适量换水,每15天左右用消毒剂消毒池塘,如生石灰、漂白粉、强氯精等。
沙塘鳢有底栖穴居的习性。因此要注意控制好底质环境,除注意进排水的管理,平时要注意巡塘,注换新水,定期用生石灰、漂白粉等药物进行水体消毒。由于沙塘鳢对氧气要求高,应注意防止沙塘鳢浮头,避免发生泛塘。







朴蝴蝶鱼,Chaetodon modestus Temminck et Schlegel,蝴蝶鱼科…




大眼鲷是鲈形目大眼鲷科鱼类,又称大目、大目莲。体呈长椭圆形,较侧扁;口大,口裂倾斜或近垂直状;眼更大,…




透红小丑,Premnas biaculeatus ,雀鲷科棘颊雀鲷属的一种鱼类。主要栖息于遮蔽的…




环纹刺盖鱼或称肩环刺盖鱼,别称蓝环神仙或白尾蓝纹神仙,成鱼尾鳍白色,肩部有一个蓝色圆环,体侧则有数…




黑鲷是鲈形目鲷科棘鲷属的一种硬骨鱼,俗称海鲋、青鳞加吉、青郎、乌颊、牛屎鱲、乌翅、黑加吉、黑立、海鲫和铜盆鱼等。体呈长椭圆形,侧扁,头中大,吻钝尖。口小,上、下颌等长;体被中等大的弱栉鳞,体侧通常有5~7条黑色条纹。背鳍棘坚硬,臀鳍第二鳍棘尤甚;体背部为灰黑色,侧线起点处有黑斑点,体侧常有数条不明显的暗褐色横带,腹部银白。黑鲷分布于中国、日本和韩国等地的沿岸、港湾及河口,属内湾性鱼类,在中国,以黄海、渤海数量较多。黑鲷为浅海、底层鱼类,喜栖于沙、泥底或多岩礁的清水中,为广温、广盐性鱼类,对于环境适应能力较强。黑鲷为杂食性鱼类,在自然海区,以软体动物的蛤类、小鱼虾类为主食,有时也吃海藻,人工养殖可采用低值鱼虾贝类或配合饵料投喂。黑鲷具有很强的繁殖力,雌雄同体,雄性先熟,怀卵量达200万~300万粒以上。黑鲷是名贵海产鱼之一,全体药食兼用。具有健脾利水、补气活血的功效;用于脾虚水肿、小儿脾胃不




淡水石斑鱼是鲈形目丽鱼科丽体鱼属鱼类,又名马拉丽体鱼、花老虎等。体侧扁,纺锤形;口上位,…




原产南美洲的圭亚那、委内瑞拉、巴西的亚马逊流域。一般成鱼体长35cm.性格十分凶猛,有时会自相残杀…




乌鳢[wū lǐ],又名黑鱼、财鱼、乌鱼、蛇头鱼,属于鲈形目鳢科鳢属鱼类。…


















