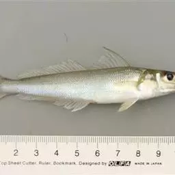
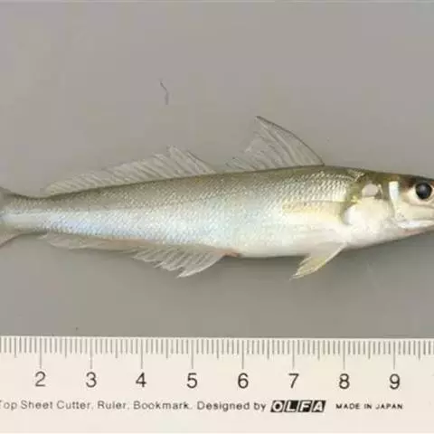
非洲凤凰是最早从马拉维湖出口的慈鲷之一。体长约15厘米,捕食性鱼类。 幼鱼为鲜黄色,身体上半部分两条黑色条纹从吻延伸到尾鳍。 背鳍上也有一条黑色条纹。成年以后的雌鱼依然保持着这种体色,雄鱼则变成了深蓝黑色,体侧有一条发出金属光芒的浅蓝色条纹,从腮盖后缘到尾柄末端。
这种鱼的领地观念很强。幼鱼期可混养,雄鱼时常争斗所以混养需要较大的水族箱和较多的水草、岩石等隐蔽场所供弱势鱼躲藏。成鱼应单养。
基本信息

非洲凤凰鱼(Melanochromis auratus),身上的水平斑纹清晰可见。雄鱼只有在雌鱼出现的情况下才会呈现出保卫领域的行为,但一旦雌鱼扫兴而去,雄鱼也就会离开曾经保卫的领域。对于其他的雄鱼,非洲凤凰的雄鱼会表现出极强的攻击性,甚至试图杀死任何黑丽鱼属岩栖类的雄性。由于存在杂交的风险,它们不应该和其他的黑丽鱼属岩栖类混养在一起。非洲凤凰的基础色是明亮的黄色,上面并伴有一条黑色的水平条纹。成熟后雄鱼的腹部变多名为深褐色.

马拉维湖特有物种

幼鱼身上有二条黑色条纹纵贯。一条位于身体正侧方,由头至尾柄末端,一条位于背部。身体下半部由嘴开始至尾鳍呈明黄色。成年以后的雌鱼依然大体保持着这种体色,雄鱼明黄色的位置则变成了棕黑色或黑色,体侧有一条发出金属光芒的浅蓝色条纹从腮盖后缘到尾柄末端。

非洲凤凰鱼需要弱碱性、较高硬度的水,好在现在水质测试、调节试剂不少,这样的水质一开始配制不成问题,但随着饲养水质的污染酸化和换水的增加,酸碱度和硬度会降低,所以应经常测试调配,及时添加提高pH值和硬度的试剂。如NaHCO3、MgSO4等。底沙以珊瑚沙为最好,对于稳定硬度是有好处的。三湖慈鲷经若干代的人工饲养,对水质已经有了一定的适应性,不少品种水中性加微量食盐也可养得很好,购买时可向水 族馆咨询一下。
非洲凤凰鱼也是一些“爱干净”的鱼,要经常给它们“打扫”“室内”的卫生,及时清理粪便,控制水中有害物质的含量,采用硝化过滤比物理过滤好 。
非洲凤凰鱼食量大、生长快,很贪吃,要严格控制喂食量,每天吃个半饱即可;饵料也不可单一,质量差的人工饵料,脂肪的转换率高,会造成脂肪肝、 腹水,死亡率较高,考虑到健康和色彩方面的需要,既要经常喂一些高蛋白的活饵,如红血虫、红虫为好,也要添加素菜和维生素类饵料。
非洲凤凰鱼的领地观念很强。幼鱼期可混养,雄鱼时常争斗,所以混养需要较大的水族箱和较多的岩石等隐蔽场所供弱势鱼躲藏。成体雄性鱼应避免饲养一条以上。雌鱼基本无限制。
本种鱼为口孵鱼类。因此繁殖很简单。亲鱼性成熟年龄为6个月,雄鱼有婚姻色,体色变成棕黑色,或深黑色背鳍黄色,体侧黑带泛有浅蓝色;雌鱼腹部膨大,体色略淡。繁殖水温27~29℃,水质弱碱性或中性,可选用50×30×35厘米或者更大的鱼缸,将亲鱼放入。雌鱼产卵后,将卵含在自己口中,然后受雄鱼臀鳍上的伪卵吸引,嘴巴靠近雄鱼的臀鳍,雄鱼释放精液从而使雌鱼口中的卵受精。卵经约三天孵出仔鱼,在孵化期间,雌鱼不能喂食,以便它不断地鼓动双鳃,以增加口中氧气。当仔鱼游水后,若有险情,雌鱼立刻将仔鱼含入口中游离。1~2周后仔鱼长大,这时可将雌鱼捞出。雌鱼每次产卵30~60粒。如需要人工干预鱼卵孵化,请在雌鱼含卵五天后将鱼卵抠出,放置在事先准备好的孵化器皿内。幼鱼在卵黄吸收完毕后开口,开口饲料以刚孵化的丰年虾为最佳。如无,请用洄水或研磨碎的颗粒饲料以及丰年虾脱壳卵代替。

刺鳅是合鳃鱼目刺鳅科刺鳅属鱼类,俗称钢鳅、刀鳅、石锥。体细长,前端稍侧扁,…




原产南美洲的圭亚那、委内瑞拉、巴西的亚马逊流域。一般成鱼体长35cm.性格十分凶猛,有时会自相残杀…




大西洋蓝鳍金枪鱼:是鲭形目、鲭科、金枪鱼属的海洋动物。体长可达3米,…




金菠萝鱼,Cichlasoma severum,慈鲷科丽体鱼属。成鱼体长20~25cm,厚侧扁形,…




褐点石斑鱼为辐鳍鱼纲鲈形目鲈亚目鮨科石斑鱼属的鱼类。分布于红海、印度洋非洲东岸至太平洋波利尼西亚、…




角镰鱼属镰鱼科,广泛分布于印度-太平洋及东太平洋区,自非洲东部到墨西哥,北至日本南部及夏威夷群岛,…




金钱鱼,学名Scatophagus argus,英文名Spotted scat,商品名为金鼓鱼。…




月鳢为鳢科鳢属的鱼类,俗名七星鳢、姑呆、山斑鱼、七星鱼、点称鱼、山花鱼、鲈鳢等。…


















