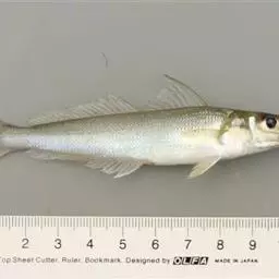
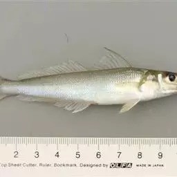
斑点鸡笼鲳,Drepane punctata (Linnaeus, 1758),帘鲷科(鸡笼鲳科)鸡笼鲳属的一种鱼类。体侧扁而高,呈菱形、背缘在背鳍起点处和腹缘在臀鳍起点处最高、口小,眼大。体被栉鳞,并伸展至背鳍与臀鳍上、体呈浅灰褐色,体侧有4~10条成横带状排列的浅黑色斑点、背鳍连续,前半部有9~10鳍棘,第4棘最长,胸鳍大,延长至尾柄;臀鳍有3鳍棘;尾鳍弧形、各鳍均呈淡豆绿色。
基本信息

分布于印度洋和太平洋、我国产于南海和东海南部,在广东省沿海产出较多。

体呈高菱形,侧扁。胸鳍很长,几乎可达尾鳍。尾鳍为双截形或双凹形。体银灰色。体侧有黑色斑点,排列成4~10条横带。背鳍鳍条部、尾鳍和臀鳍的后缘密布暗褐色的小细点。胸鳍和腹鳍色较淡。

生活于10~49米深的海域,栖息于沙泥底质的浅水区,常在港口或沙洲等地区出没,属中下水层鱼类。杂食性,以藻类及小型底栖无脊椎动物为主。

分布:
印度-西太平洋亚热带海域,包括台湾南部、北部、东北部及西部海域。

可食用鱼。
编号:
7608
拉丁目名:
PERCIFORMES
中文目名:
鲈形目
中文科名:
鸡笼鲳科
拉丁科名:
Drepanidae
中文属名:
鸡笼鲳属
拉丁属名:
Drepane
拉丁种名:
punctata
定名人:
(Linnaeus)
年代:
1758
中文名:
斑点鸡笼鲳
ogenus:
Chaetodon
原始文献:
Syst. Nat., ed.10, 1:273
模式产地:
亚洲
俗名:
鸡笼鲳,鸡鲳,花鲳,浆打鲳,臭屎鲳,龟笼鲳
生境:
暖水性鱼类,生活于近岸浅海,有时可进入河口咸淡水中
国内分布:
南海, 台湾海峡, 东海
国外分布:
印度洋非洲东岸, 东至澳大利亚, 北至中国
资料来源:
福建鱼类志[下卷]:234-235. 南海鱼类志:570

蓝点马鲛,鲭科,鲅鱼的1种。体长而侧扁,体色银亮,背具暗色条纹或黑蓝斑点,口大,吻尖突,牙齿锋利,…




图丽鱼是慈鲷科、图丽鱼属鱼类。体长为33厘米,最大体重约1.1千克。鱼体呈椭圆形,侧扁,头大,嘴大,…




非洲凤凰是最早从马拉维湖出口的慈鲷之一。体长约15厘米,捕食性鱼类。幼鱼为鲜黄色,…




四指马鲅是马鲅科、四指马鲅属鱼类。体延长而侧扁。头中大,前端圆钝。吻短而圆。眼较大,位于头的前部;…




金钱鱼,学名Scatophagus argus,英文名Spotted scat,商品名为金鼓鱼。…




白姑鱼是鲈形目石首鱼科白姑鱼属鱼类,又名银姑鱼,白姑子,白米子,白鳘子,白梅。体延长,侧扁,…




鮸,是鲈形目石首鱼科鮸属暖温性中下层鱼类。身体延长而侧扁,有4个须孔;耳石椭圆形,…




红笛鲷是笛鲷科、笛鲷属鱼类。体被大栉鳞。背鳍Ⅻ-14,臀鳍Ⅲ-9,胸鳍17,腹鳍I-5,…


















