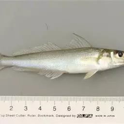
白腹鲭(学名:Scomber japonicus)是鲭科、鲭属鱼类。体纺锤形,稍侧扁;背缘和腹缘浅弧形;尾柄细短,尾鳍基部两侧各具2条小隆起脊。头中大,稍侧扁。吻钝尖,稍大于眼径。眼中大,位近头的背缘,具发达之脂性眼睑。口大,端位,斜裂;上下颌等长,上下颌各具细齿一列,上颌齿有时不明显;锄骨、腭骨具齿,舌上无齿。鳃耙正常,第一鳃弓上之下枝鳃耙数为25~35。体及颊部被圆鳞;侧线完全,沿背侧延伸,伸达尾鳍基。第一背鳍具硬棘Ⅸ~Ⅹ,与第二背鳍起点距离远,其后具5个离鳍;臀鳍与第二背鳍同形;尾鳍深叉形。体背侧蓝黑色,具深蓝色不规则之斑纹,班纹仅延伸至侧线上下,侧线下方无斑点;腹部银白而微带黄色。
近沿海中上层的回游鱼类。好群游,幼鱼时,常与其他种的鲭科鱼类或鲱科小沙丁鱼类形成群体。具趋光性,有垂直移动现象,白天时,成鱼常栖息在近底层的水域;晚上时,则往上群游至可以捕食到桡角类、其他浮游性甲壳类、小鱼或乌贼的水层。冬季时,会群体栖息于较深水域,且活动力会降至最低。分布于朝鲜半岛、日本、大西洋地中海沿岸,印度洋非洲南岸,太平洋西岸自菲律宾至俄罗斯远东海区,最北达北美阿拉斯加湾。在中国分布于黄海、东海及南海。 [1-2]
基本信息

背鳍Ⅸ~Ⅹ,Ⅰ-11~12,臀鳍Ⅰ,Ⅰ-11,游离小鳍5;胸鳍19;腹鳍Ⅰ-5;尾鳍17。侧线鳞208~213。鳃耙13~14+26~27。
体纺锤形,稍侧扁,尾柄细短,横切面近圆形,在尾鳍基部两侧各具2条小隆起嵴。头中大,稍侧扁。吻稍尖,吻长大于眼径。眼大,位近头的背缘,脂眼睑发达。鼻孔每侧2个,分离。口大,前位,上下颌约等长。上颌骨完全被眶前骨所盖,后端伸达眼中部下方。两颌各具1行细齿,犁骨和腭骨无齿。鳃孔大。鳃盖膜分离,不与峡部相连。鳃耙细长,稍短于眼径。
体被细小圆鳞。胸部鳞片较大。头部除后头、颊部和鳃盖被鳞外,余均裸露。侧线完全,上侧位,呈波状。
背鳍2个,相距较远,其间距约与眼后头长相等;第一背鳍由细弱鳍棘组成,以第二鳍棘最长,向后渐短;第二背鳍前部鳍条较长,后方具5个分离小鳍。臀鳍始于第二背鳍第五鳍条下方,其前方具1独立小棘,后方具5个分离小棘。胸鳍短小,上侧位。腹鳍胸位,约与胸鳍等长,腹鳍间突1个,甚小。尾鳍深叉形。
体背部青黑色,具深蓝色不规则斑纹,斑纹延续至侧线下方,但不伸达腹部。侧线下部无蓝黑色小圆斑,腹部黄白色,头顶部黑色。背鳍、胸鳍和尾鳍灰黑色。
初孵仔鱼体长2.70毫米,黑色素分布在听囊、颅顶、胚体两侧、油球前半部和卵黄囊上,尾部肌节下缘亦有黑色素,肌节12+17对。体长3.25毫米仔鱼,黑色素分布在颅顶、胚体两侧、油球及卵黄囊上,消化管已呈弯曲,上有5~6个星状黑色素。体长3.80毫米仔鱼,卵黄囊已吸收完,肛门已开口,口裂出现,腹囊上部有10多个星状黑色素,肛门腹缘有一列黑色素,尾鳍膜出现放射状丝。体长5.12毫米仔鱼,上颌形成,颅顶黑色素呈菊花状,大而浓,肛后腹缘色素增多。
体长8.10毫米仔鱼,上颌较下颌长,上颌近吻端出现2~3个星状黑色素,眼后下缘出现3~4个黑色素,鳃盖后缘有4~5个星状黑色素,腹囊上黑色素密集,占腹囊2/3,尾部末端有3~4个小星状黑色素,第二背鳍及臀鳍担鳍骨出现,尾鳍条形成,腹鳍出现。体长15.50毫米稚鱼,第一、二背鳍和臀鳍条部已长齐,尾已分叉,吻端出现较多黑色素,眼周围鳃盖后缘色素也较多,体侧上半部黑色素排列密,腹囊上色素移向下部,外形已渐近成鱼。

该种与澳洲鲭(Scomber australasicus)近似,后者与该种区别是腹部具许多小黑点,背鳍鳍棘Ⅺ~Ⅻ,背鳍担鳍骨18~22条。

日本鲭为大洋暖水性中上层鱼类。每年进行远距离洄游,游泳力强、速度快。春夏季多栖息于中上层,活动在温层以上,生殖季节常结成大群到水面活动。捕捞适温为8~24℃,以14~16℃渔获最高。有趋光性和昼夜垂直移动习性,早晨、黄昏或阴雾细雨天气,常结群起浮,所产生的波纹在海面构成不同形状,渔民常依此特性而瞄准放网捕。
分布东、黄海的日本鲭主要分为东海西部和五岛西部两种群东海西部群越冬在东海中南部至钓鱼岛北部100米等深线附近海域,每年春夏问东海北部近海、黄海近海洄游广卵,广卵后在产卵场附近索饵,秋冬返回越冬场。五岛西鄙群冬季分布在日本五岛西部至韩国济州岛西南部,春季鱼群分成两支,一支穿过对马海峡游向目本海,另一支进入黄海产卵。它们的栖息条件与其生活阶段和海洋流系密切相关,黄海产卵群体的分布和黄海暖流及冷水势力的变动密切相关,黄海暖流强的年份,日本鳍分布明显偏北。东海产卵群体主要分布在台湾暖流与淅江沿岸水、黄海冷水的交汇区,底层盐度为33~34。长江口索饵群主要分布在浙江沿岸低盐水和台湾暖流的交汇处,一般当年生幼鱼分布在低盐水一侧,隔年以上鱼群则分布在高盐水一侧。
浮游生物食性兼营捕食性鱼类。食性广,且应时、地而变化。主要御料为甲壳类中的端足类与磷虾类和桡足类,其次为醍等小型鱼类,此外也吃头足类、毛颚类、多毛类甚至钵水母。春末以大型浮游动物和小角、乌贼为主,夏秋以浮游甲壳类为主,其次是小鱼,秋季则大量吞食幼鱼。生殖季中摄食强度减弱或停止,生殖前、后摄食强烈。黄海叉长35毫米以上当年生幼鱼的饵料以鱼类、头足类和甲壳类为主,三者的比例分别为39.5%、38.6%和16.2%;东海南部、台湾海峡的日本鲭摄食比例最高,为桡足类,为36.97%;其次是端足类,为32.81%;第三是鱼类,为10.00%。

海域范围:分布于朝鲜半岛、日本、大西洋地中海沿岸,印度洋非洲南岸,太平洋西岸自菲律宾至俄罗斯远东海区,最北达北美阿拉斯加湾。在中国分布于黄海、东海及南海。
国家地区:阿尔巴尼亚、阿尔及利亚、安哥拉、阿根廷、波斯尼亚和黑塞哥维那、巴西、保加利亚、佛得角、喀麦隆、加拿大、智利、中国、哥伦比亚、哥斯达黎加、克罗地亚、古巴、塞浦路斯、科特迪瓦、丹麦、吉布提、厄瓜多尔、埃及、萨尔瓦多、厄立特里亚、法国、法属圭亚那、加蓬、加纳、直布罗陀、希腊、格林纳达、几内亚、洪都拉斯、印度、伊朗伊斯兰共和国、以色列、意大利、日本、约旦、韩国、朝鲜、黎巴嫩、利比里亚、利比亚、马耳他、毛里塔尼亚、墨西哥、摩纳哥、摩洛哥、莫桑比克、纳米比亚、尼加拉瓜、尼日利亚、阿曼、帕劳、巴拿马、秘鲁、菲律宾、葡萄牙、卡塔尔、罗马尼亚、俄罗斯联邦、圣海伦娜、阿森松和特里斯坦达库尼亚、沙特阿拉伯、塞拉利昂、斯洛文尼亚、索马里、南非、西班牙、苏丹、苏里南、阿拉伯叙利亚共和国、特立尼达和多巴哥、突尼斯、土耳其、乌克兰、阿拉伯联合酋长国、英国、美国、乌拉圭、委内瑞拉玻利瓦尔共和国、也门。 日本鲭分布图

中国东海区日本鲭产卵水深在20~100米之间,产卵水温和盐度各渔场略有不同,一般温度为15~21℃,盐度为29~34.5‰。卵圆球形,彼此分离,浮性,无色透明,卵膜薄而光滑,卵径0.93~1.15毫米。卵黄均匀透明无色,卵黄周隙小。油球1个,略带棕色,直径为0.26~0.30毫米。受精后12小时达囊胚期。受精后63小时55分钟胚体围绕卵黄一周多,仔鱼即将孵化。

保护级别:列入《世界自然保护联盟濒危物种红色名录》(IUCN 2009年 ver 3.1)——无危(LC)。

日本鲭为重要之食用鱼,以油煎或烧烤皆宜。一般以围网、流刺网或定置网等捕获。在日本已有商业化的养殖。一般被已新鲜、冷冻、烟熏、盐渍或制成罐头等方式贩售。
日本鲭肉结实,味良好,可鲜销、腌制和制罐。肉性平、味甘,功能滋补强壮。精巢可制鱼精蛋白,胰腺可作提炼胰岛素的原料;脂肪酸中含二十碳五烯酸(EPA)和二十二碳六烯酸(DHA),是提制药用鱼油EPA和DHA的较好原料;鱼卵可制卵磷脂。脂肪多,可炼制人造白脱;肝富有维生素A,可制鱼肝油。

大西洋蓝鳍金枪鱼:是鲭形目、鲭科、金枪鱼属的海洋动物。体长可达3米,…




蓝点马鲛,鲭科,鲅鱼的1种。体长而侧扁,体色银亮,背具暗色条纹或黑蓝斑点,口大,吻尖突,牙齿锋利,…




白腹鲭是鲭科、鲭属鱼类。体纺锤形,稍侧扁;背缘和腹缘浅弧形;尾柄细短,尾鳍基部两侧各具2条小隆起脊…




白腹鲭是鲭科、鲭属鱼类。体纺锤形,稍侧扁;背缘和腹缘浅弧形;尾柄细短,尾鳍基部两侧各具2条小隆起脊…




大西洋蓝鳍金枪鱼:是鲭形目、鲭科、金枪鱼属的海洋动物。体长可达3米,…




蓝点马鲛,鲭科,鲅鱼的1种。体长而侧扁,体色银亮,背具暗色条纹或黑蓝斑点,口大,吻尖突,牙齿锋利,…




炸弹鱼,英文名:Bullet mackerel,又名鲣鱼, 炸弹鱼属金枪鱼科鱼类。…




炸弹鱼,英文名:Bullet mackerel,又名鲣鱼, 炸弹鱼属金枪鱼科鱼类。…


















