金钱鱼,学名Scatophagus argus (Linnaeus, 1766),英文名Spotted scat,商品名为金鼓鱼。金钱鱼科金钱鱼属的一种鱼类。成鱼体长约30厘米,原产于印度尼西亚、菲律宾、泰国等地的江河入海口的咸淡水交融水域,我国南方江河的入海口也常见,湛江地区养殖繁多。
基本信息

学 名:Scatophagus argus
又 名:金鼓鱼 英文名:Spotted Scat
原产地:东南亚的沿海地区体 长:25~30cm
适宜水温:22~25℃
属于金钱鱼科。体略呈椭圆形,侧扁而高,背鳍硬棘与软条间具有深缺刻,体表呈褐色,腹缘银白色,鱼体上有许多深色圆斑。
本鱼种为沿岸岩礁区的鱼,能以纯淡水饲养,但最好还是加些盐分,以使其发育得更好。因背鳍各硬棘都有毒液的分泌,故捞鱼时应避免被刺。

金鼓鱼,硬骨鱼纲,鲈形目,金钱鱼科。长约20 cm,体侧扁而高,略呈六边形。头小,吻宽短。口小,前位,横裂。上下颌牙细尖,刚毛状,具三牙尖。体被细栉鳞。背鳍前方有一向前平卧棘。体褐黄色,散具黑斑。背、臀、尾鳍均具黑斑,头部常具黑横带。栖息近海岩礁处,常进入咸淡水或河口。摄食甲壳动物及附着石上的软体动物。游泳缓慢,不成群。初春至近岸产卵,产卵后游向外海。

金鼓鱼体扁呈圆盘形。体长大约20至30厘米。体桔红色。体表满布数十个黑色圆斑,似金钱状。背部高耸隆起,口小。鳞片细小。鱼体黄褐色,散布许多黑圆斑,腹部银白。还有一种体型一样但体表颜色为银色的,一般都称银鼓鱼(为另一种,后文有介绍)。金鼓鱼尾鳍宽大,鳍条挺括。为广盐性杂食鱼类,主要以藻类及小型底栖无脊椎动物为食。分布于印度-太平洋热带海域。
金鼓鱼属广盐性鱼类,受惊吓会发出“嘓嘓”的叫声。体色常因环境的变化而变化,时深或时浅,特别漂亮。杂食性,以藻类及小型底栖无脊椎动物为主。金鼓鱼背鳍的前10个鳍条有毒腺,被其刺中就会红肿而且疼痛难当,捕捉时要小心。

分布于印度-太平洋热带海域,包括台湾南部、北部及西部。 常在河口区的蚵棚、红树林或堤防区的消波块附近活动。

金鼓鱼属杂食性和底食性鱼,爱吃水草和活饵,喜欢活动在水层的中 底层。性情较温和,喜群居,可以和大型汽水鱼类混养。饲养水温22-26℃,喜弱碱性的硬水,可在水族缸内加入适当的盐。实际上这种鱼容易饲养,但在水族缸里基本无法繁殖。

金钱鱼科(Scatophagidae) 与金钱鱼同科的还有:
①红金鼓鱼(饰纹金钱鱼,Scatophagus ornatus):鱼体黄红色,布以黑色圆斑,背鳍后部、臀鳍后部和尾鳍均为银白色。
②银鼓鱼(多纹钱蝶鱼,Selenotoca multifasciata):该种鱼的最大体长可达40厘米,体色青银白色,体侧有少量黑色小斑。
③四棘金钱鱼(Scatophagus tetracanthus)。
④巴布亚钱蝶鱼(Selenotoca papuensis)。

金鼓鱼的常见病害:小瓜虫病、烂尾烂鳍病。
小瓜虫病很难治疗,茂名的资深水产研究者陈雄党说,比较有效的治疗方法是用福尔马林全池泼洒,浓度为30ppm,五小时后换水;烂尾烂鳍病容易治疗,只要处理好水质,然后进行消毒,很快就会好起来。消毒可用强氯精或聚维酮碘。

丝蝴蝶鱼,又称扬幡蝴蝶鱼,俗名人字蝶,为辐鳍鱼纲鲈形目蝴蝶鱼科的其中一种。…




六带鲹,学名:Caranx sexfasciatus ,鲹科鲹属的一种暖水性中上层鱼类,著名的游钓…




横带刺尾鱼,刺尾鱼科刺尾鱼属的一种鱼类。俗名条纹刺尾鱼。鱼吻及下颌周围有淡色环。体被细小栉鳞。体色…




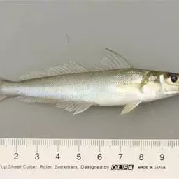
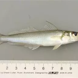
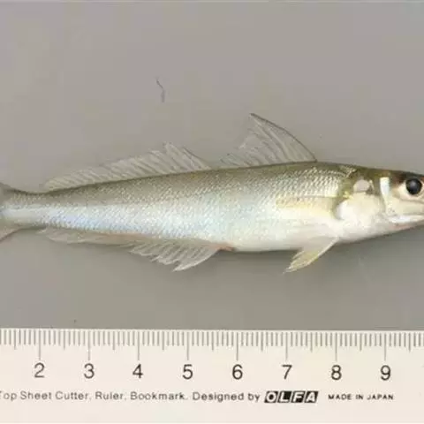
多鳞鱚,Sillago sihama ,鱚科鱚属的一种鱼类。主要分布于印度洋-西太平洋的热带海域,…




新月锦鱼又称青衣龙,花面龙,花面绿龙,为鲈形目,隆头鱼科,锦鱼属一种热带地区近岸珊瑚礁海域生活的鱼类。…




狐面鱼,学名:Siganus vulpinus ,又名狐狸鱼,分布于菲律宾、中国台湾、太平洋的珊瑚…




蓝点马鲛,又名鲅鱼、马交、燕鱼,是鲭科马鲛属的一种暖水性大型中上层洄游鱼类。体呈纺锤形,…




二带副绯鲤,为羊鱼科副绯鲤属的鱼类,学名:Parupeneus trifasciatus ,俗名…


















