
茉莉花鳉是花鳉科、花鳉属鱼类。体延长,前部略呈楔状,后部侧扁。雌鱼的腹部膨大而圆突。头部中大,吻短。…




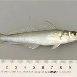
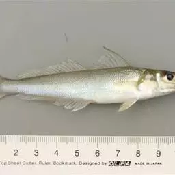
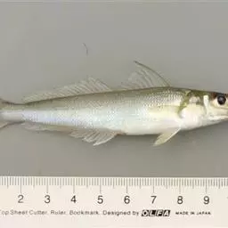
黑鲷是鲈形目鲷科棘鲷属的一种硬骨鱼,俗称海鲋、青鳞加吉、青郎、乌颊、牛屎鱲、乌翅、黑加吉、黑立、海鲫和铜盆鱼等。体呈长椭圆形,侧扁,头中大,吻钝尖。口小,上、下颌等长;体被中等大的弱栉鳞,体侧通常有5~7条黑色条纹。背鳍棘坚硬,臀鳍第二鳍棘尤甚;体背部为灰黑色,侧线起点处有黑斑点,体侧常有数条不明显的暗褐色横带,腹部银白。黑鲷分布于中国、日本和韩国等地的沿岸、港湾及河口,属内湾性鱼类,在中国,以黄海、渤海数量较多。黑鲷为浅海、底层鱼类,喜栖于沙、泥底或多岩礁的清水中,为广温、广盐性鱼类,对于环境适应能力较强。黑鲷为杂食性鱼类,在自然海区,以软体动物的蛤类、小鱼虾类为主食,有时也吃海藻,人工养殖可采用低值鱼虾贝类或配合饵料投喂。黑鲷具有很强的繁殖力,雌雄同体,雄性先熟,怀卵量达200万~300万粒以上。黑鲷是名贵海产鱼之一,全体药食兼用。具有健脾利水、补气活血的功效;用于脾虚水肿、小儿脾胃不




鲤鱼,中文别名鲤拐子、鲤子、毛子,红鱼。鲤科中粗强的褐色鱼,学名Cyprinus carpio。原…




罗汉鱼,是鲈形目慈鲷科慈鲷属的鱼类。其体形侧扁,体长与体高基本相等;头额突出,眼圈朱赤,…




铜鱼Coreius heterokon 属鲤形目,鲤科,鱼句 亚科,铜鱼属。地方名:金鳅、水密子、…




二带副绯鲤,为羊鱼科副绯鲤属的鱼类,学名:Parupeneus trifasciatus ,俗名…




长吻鮠,又名江团、鮠鱼、肥头鱼等,为鲿科鮠属鱼类。长吻鮠是同类鱼中体型最大的一种,…




盲鱼是脂鲤目脂鲤科丽脂鲤属鱼类,又称墨西哥丽脂鲤、无眼鱼、盲眼鱼。通体近乎乳白浅肉色,半透明,…


















