多鳞鱚,Sillago sihama (Forsskål, 1775),鱚科鱚属的一种鱼类。主要分布于印度洋-西太平洋的热带海域,南非耐斯纳至日本,澳大利亚、加勒多尼亚、土耳其及我国沿海均产之,粤西地区产量较高。
基本信息

拉丁名: Sillago sihama (Forskål)
英文名: silver sillago,common asohos,smelt
多鳞鱚(Silver sillago)是沙尖鱼的学名,俗名为沙肠仔、kiss鱼 ,又称沙鲮、沙钻、船丁鱼、麦穗,北方地区常称沙丁鱼,规属海水鱼;肉质鲜美,既是经济性食用鱼又是著名的沙岸游钓鱼种。

多鳞鱚Sillago sihama (Forskål),属于鲈形目Perciformes,鱚科Sillaginidae,鱚属Sillago。
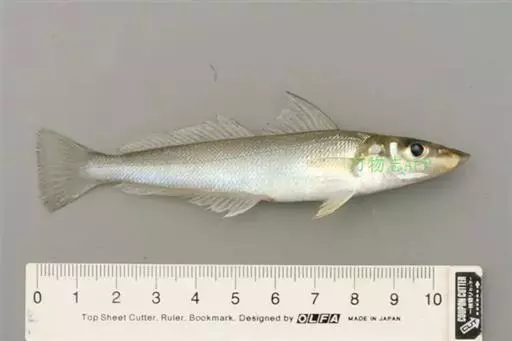
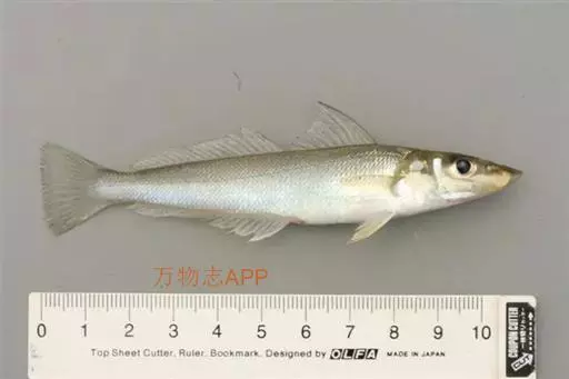
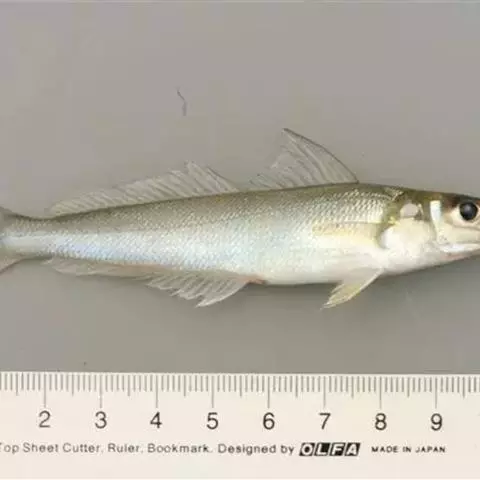
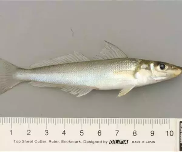
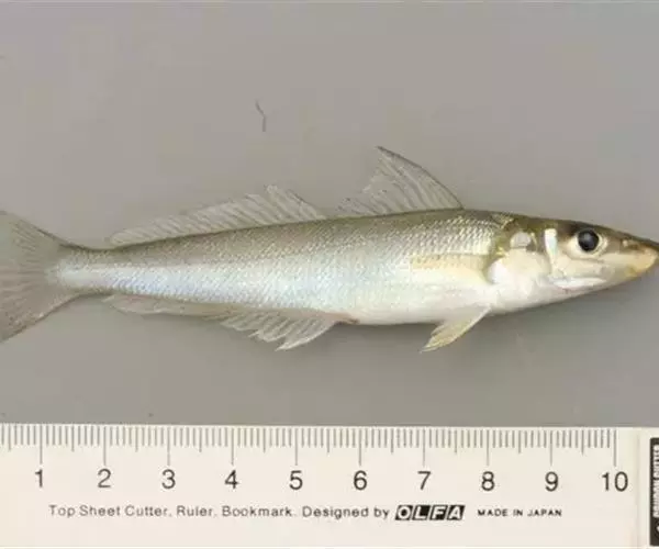
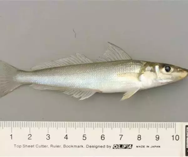
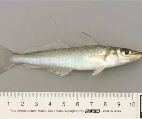
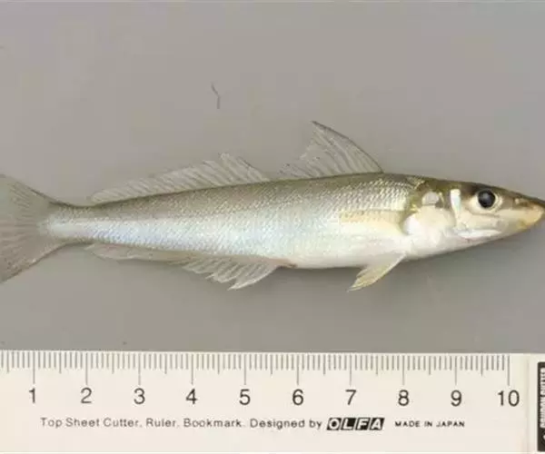
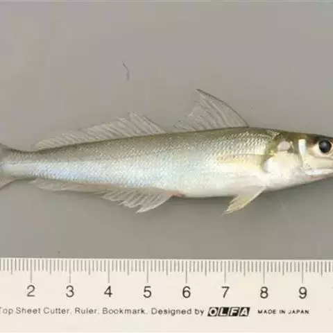
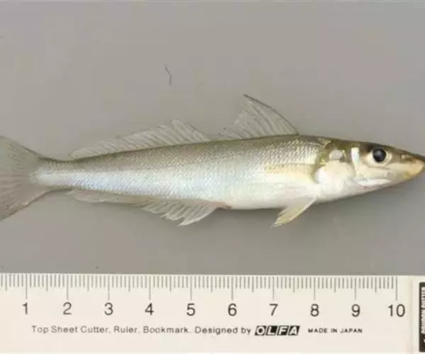
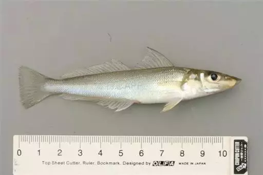
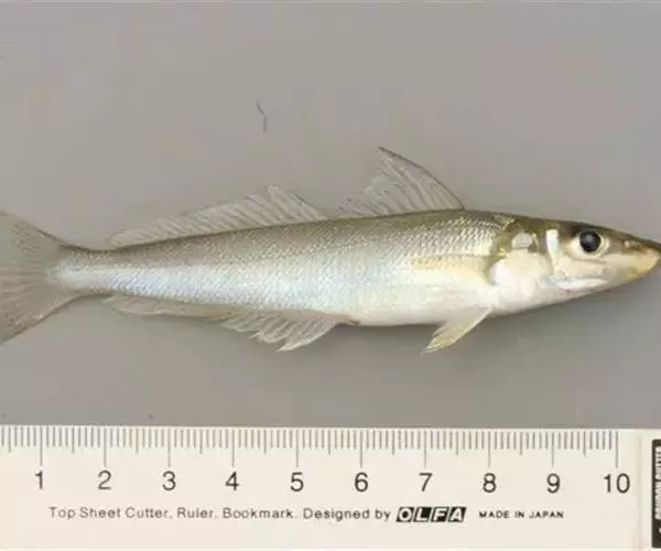
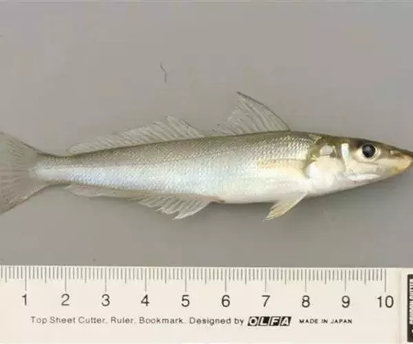
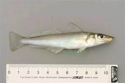
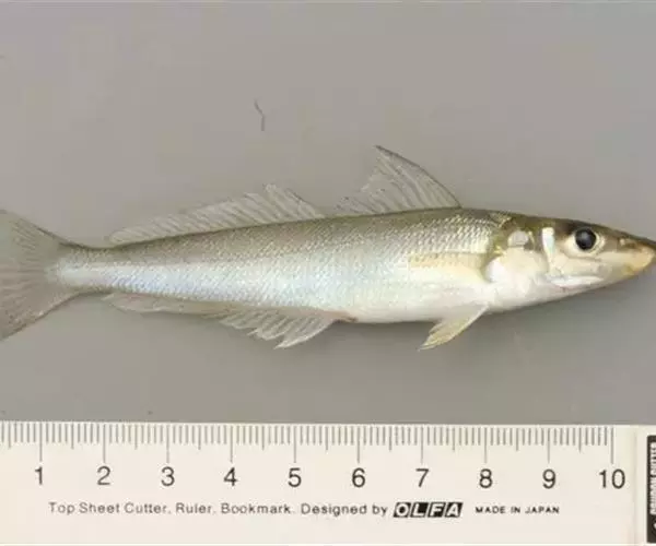
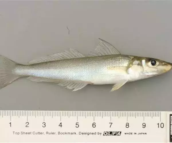
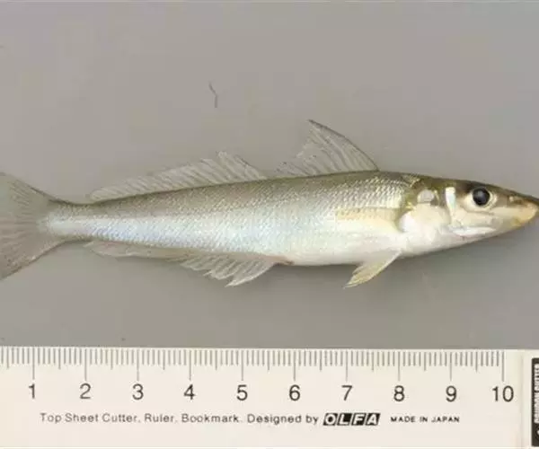
体呈细长圆柱形,略侧扁,头呈锥形,口小,眼大。鳞片细小极易脱落。鱼体背部黄棕色,腹部淡,尾鳍微凹。 多鳞鱚(Silver sillago)
主要分布于印度洋-西太平洋的热带海域,南非耐斯纳至日本, 大沙尖鱼 澳大利亚、加勒多尼亚、土耳其及我国沿海均产之,粤西地区产量较高。产卵期为春末至夏季,6~9月为繁殖高峰期,每尾雌鱼在凌晨可产下约2000粒的漂浮卵,且一年可多次产卵,约21小时後受精卵孵化。仔鱼和稚鱼为大洋性,形成鱼群,吃浮游生物。
大多活动於热带海滩、沿岸内湾,河口沙洲,有时进入淡水,栖息于1~60公尺海域;肉食性,主要捕食多毛类的蠕虫、小虾、虾和片脚类动物;性胆小,易受惊吓,当被惊扰时成鱼会潜入沙中躲藏。

体细长,略呈圆柱形,一般体长12~16厘米、体重10~30克、口小,吻钝尖,两颌牙细小成绒毛状、眼大、卵形。体被弱栉鳞,背部灰褐色,腹部乳白色。侧线明显,伸展至尾鳍。背鳍2个,分离,第二背鳍长并与臀鳍相对,无硬棘;尾鳍浅凹形、黑褐色;背、胸、腹及臀鳍均为浅灰色、体侧及各鳍无斑纹及斑点。

含脂肪高,清蒸、红烧、油煎及腌干蒸食均味美可口; 小沙尖鱼 据有关资料介绍,沙丁鱼中含有一种具有5个双键的长链脂肪酸,可防止血栓形成,对治疗心脏病有特效。







金钱鱼,学名Scatophagus argus,英文名Spotted scat,商品名为金鼓鱼。…




尼罗罗非鱼是鲈形目丽鱼科罗非鱼属鱼类,别名罗非鱼、非洲鲫鱼、尼罗丽鲷。体椭圆形,侧扁;体被大栉鳞,…




淡黑镊丽鱼为辐鳍鱼纲、鲈形目、隆头鱼亚目、慈鲷科的其中一种动物,分布于非洲马拉维湖流域,…




非洲凤凰是最早从马拉维湖出口的慈鲷之一。体长约15厘米,捕食性鱼类。幼鱼为鲜黄色,…




非洲王子是一种如同鲈鱼一般的典型的鲈形目的体型的鱼。小型慈鲷,成年个体10~12cm,如同鲈鱼一般…




黑尾宅泥鱼,体呈圆形而侧扁,吻短而钝圆。口中型;两颌齿小而呈圆锥状,靠外缘之齿列渐大且齿端背侧有不…




金鲳鱼属硬骨鱼纲、鲈形目、鲹科、鲳鲹属,学名卵形鲳鲹,俗名黄腊鲳、金鲳。该鱼体侧扁,卵圆形,…




鮸,是鲈形目石首鱼科鮸属暖温性中下层鱼类。身体延长而侧扁,有4个须孔;耳石椭圆形,…


















