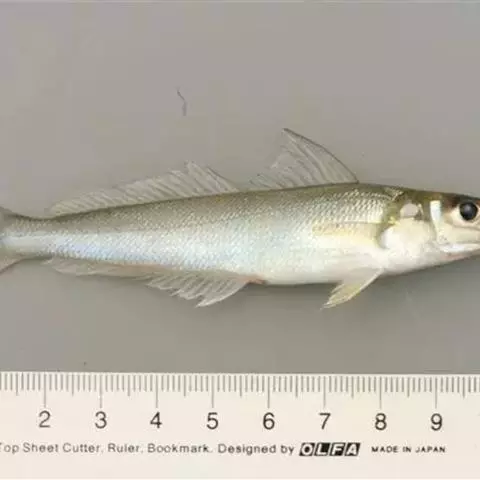
大眼鲷,Priacanthus tayenus (Richardson, 1846),大眼鲷科大眼鲷属的一种鱼类。又称大目鱼,大目莲,潮汕地区俗称红目鲢。体稍延长,侧扁;头中等大;吻颇短;眼大;口大,向上倾斜;下颌稍长于上颌,向前方突出;牙细小,圆锥形;前鳃盖偶角处有一个带锯齿缘的强大棘;体被栉鳞,细小而粗糙,坚固不易脱落;侧线完全;背鳍鳍棘向后逐渐增长;背鳍鳍条部与臀鳍同型;胸鳍短小,腹鳍长大,鳍膜间有黑色斑点;尾鳍上下叶向后呈丝状延长。
基本信息

大眼鲷Priacanthus tayenus;bigeyes
分类学地位 taxonomy
|__真核生物域Eukarya
|__动物界Fauna
|__脊索动物门Chordata
|__脊椎动物亚门Vertebrata 大眼鲷 |__有颌上纲Gnathastomata
|__硬骨鱼纲Osteichthyes (鱼纲Pisces__硬骨鱼系)
|__幅鳍亚纲Subclass Neopterygii
|__棘鳍总目Acanthopterygii
|__鲈形目Perciformes
|__鲈亚目Percoidei
|__鲈总科Percoidea
|__大眼鲷科Priacanthidae

鲈形目(Perciformes)大眼鲷科(Priacanthidae)约18种海鱼的统称,其中一些种类称为金时鲷(catalufa)。体鲜红,有些则色浅或色深,色深者或带杂色斑;多具圆形大眼。栖息于各大洋的热带与亚热带海区,大部分为肉食性,且於夜间活动。大西洋的普通大眼鲷(Priacanthus arenatus)长可达41厘米(16英寸)。斑鳍大眼鲷(P. cruentatus,玻眼啮鱼、金时鲷)见於大西洋与太平洋,长约30厘米。锯大眼鲷(Pristigenys serrula,突眼斑鳍大眼鲷)为太平洋种。
大眼鲷属的一种。又称大目鱼,大目莲。体稍延长,侧扁;头中等大;吻颇短;眼大;口大,向上倾斜;下颌稍长于上颌,向前方突出;牙细小,圆锥形;前鳃盖偶角处有一个带锯齿缘的强大棘;体被栉鳞,细小而粗糙,坚固不易脱落;侧线完全;背鳍鳍棘向后逐渐增长;背鳍鳍条部与臀鳍同型;胸鳍短小,腹鳍长大,鳍膜间有黑色斑点;尾鳍上下叶向后呈丝状延长。大眼鲷为暖水性底层鱼类,分布于西太平洋、热带及亚热带海域,自印度尼西亚到日本;中国主要产于南海和东海南部。通常栖息于底质为沙泥、水深25~75米的海区。游泳缓慢,不作长距离洄游。食物主要为长尾类、桡足类和端足类等。一般体长120~160毫米,大者可达250毫米。在南海常年均可捕获,冬春旺汛。因皮厚肉粗,多制成干品,部分鲜销。
也是大眼鲷科(Priacanthidae)约18种海鱼的统称。

鱼眼有大有小,形状各异,这与它们日常所接触光线的强弱有关系。通常生活在水上层活动的鱼大都有一双正常的眼,而生活在浑浊的水底或者常常钻入泥里的鱼,如泥鳅、黄鳝等,视觉就不太重要了,所以眼睛变得很小。生活在水深500米以下的鱼类,由于那里的光线极弱,所以它们的眼睛很大,否则会看不到东西。例如生活在我国南海的大眼鲷,眼睛竟占头的长度的1/2,可以算是头眼比例的冠军了。但是,栖息在水深2000米左右的深海鱼,情况却完全相反,由于那里根本就没有光线,眼睛再大也不管用,所以它们的眼睛就变得非常小,甚至完全退化了。







四指马鲅是马鲅科、四指马鲅属鱼类。体延长而侧扁。头中大,前端圆钝。吻短而圆。眼较大,位于头的前部;…




罗汉鱼,是鲈形目慈鲷科慈鲷属的鱼类。其体形侧扁,体长与体高基本相等;头额突出,眼圈朱赤,…




黑鲷是鲈形目鲷科棘鲷属的一种硬骨鱼,俗称海鲋、青鳞加吉、青郎、乌颊、牛屎鱲、乌翅、黑加吉、黑立、海鲫和铜盆鱼等。体呈长椭圆形,侧扁,头中大,吻钝尖。口小,上、下颌等长;体被中等大的弱栉鳞,体侧通常有5~7条黑色条纹。背鳍棘坚硬,臀鳍第二鳍棘尤甚;体背部为灰黑色,侧线起点处有黑斑点,体侧常有数条不明显的暗褐色横带,腹部银白。黑鲷分布于中国、日本和韩国等地的沿岸、港湾及河口,属内湾性鱼类,在中国,以黄海、渤海数量较多。黑鲷为浅海、底层鱼类,喜栖于沙、泥底或多岩礁的清水中,为广温、广盐性鱼类,对于环境适应能力较强。黑鲷为杂食性鱼类,在自然海区,以软体动物的蛤类、小鱼虾类为主食,有时也吃海藻,人工养殖可采用低值鱼虾贝类或配合饵料投喂。黑鲷具有很强的繁殖力,雌雄同体,雄性先熟,怀卵量达200万~300万粒以上。黑鲷是名贵海产鱼之一,全体药食兼用。具有健脾利水、补气活血的功效;用于脾虚水肿、小儿脾胃不




招财鱼,又名丝足鲈、战船鱼、点额丝足鲈,是鲈形目长丝鲈科丝足鲈属鱼类。招财鱼体呈银铜灰色,…




斑点鸡笼鲳,Drepane punctata ,帘鲷科鸡笼鲳属的一种鱼类。体侧扁而高,…




竹荚鱼,日语称:あ じ 也称马鲭鱼。广泛分布于我国沿海及朝鲜、日本沿海等水域。这种鱼为中上层洄游性…




图丽鱼是慈鲷科、图丽鱼属鱼类。体长为33厘米,最大体重约1.1千克。鱼体呈椭圆形,侧扁,头大,嘴大,…




灰额刺尾鱼,Acanthurus glaucopareius Cuvier,刺尾鱼科刺尾鱼属的一种…


















