
金菠萝鱼,Cichlasoma severum,慈鲷科丽体鱼属。成鱼体长20~25cm,厚侧扁形,…




罗汉鱼,是鲈形目慈鲷科慈鲷属的鱼类。其体形侧扁,体长与体高基本相等;头额突出,眼圈朱赤,…




叉尾斗鱼,体形与圆尾斗鱼相似。腹鳍有1根分节鳍条特别延长,雄鱼鳍条延长尤甚,尾鳍叉形。…




横带刺尾鱼,刺尾鱼科刺尾鱼属的一种鱼类。俗名条纹刺尾鱼。鱼吻及下颌周围有淡色环。体被细小栉鳞。体色…




乌鳢[wū lǐ],又名黑鱼、财鱼、乌鱼、蛇头鱼,属于鲈形目鳢科鳢属鱼类。…




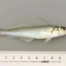
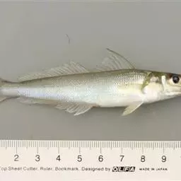
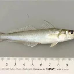
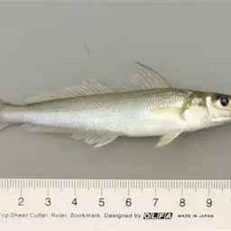
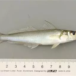
多鳞鱚,Sillago sihama ,鱚科鱚属的一种鱼类。主要分布于印度洋-西太平洋的热带海域,…




四指马鲅是马鲅科、四指马鲅属鱼类。体延长而侧扁。头中大,前端圆钝。吻短而圆。眼较大,位于头的前部;…




新月锦鱼又称青衣龙,花面龙,花面绿龙,为鲈形目,隆头鱼科,锦鱼属一种热带地区近岸珊瑚礁海域生活的鱼类。…


















