
火鹤鱼,热带鱼,鱼学名:Cichlasoma citrinellum 别名寿星头、寿星鱼,…




月鳢是鲈形目鳢科月鳢属鱼类,又称七星鱼、山花鱼、山斑鱼、张公鱼等。头大而宽扁;吻短而圆钝,…




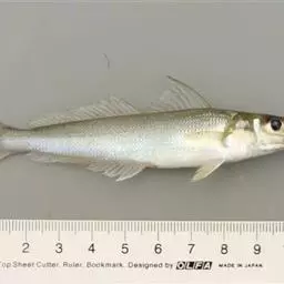
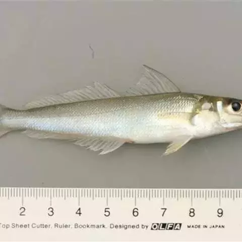
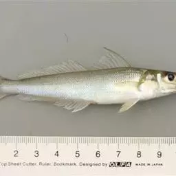
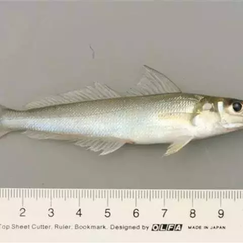
蓝圆鲹属鲹科、圆鲹属鱼类。体呈纺锤形,微侧扁。下颌稍突于上颌。上颌延伸至眼前缘之下方。上下颌各具一…




蓝圆鲹属鲹科、圆鲹属鱼类。体呈纺锤形,微侧扁。下颌稍突于上颌。上颌延伸至眼前缘之下方。上下颌各具一…




炸弹鱼,英文名:Bullet mackerel,又名鲣鱼, 炸弹鱼属金枪鱼科鱼类。…




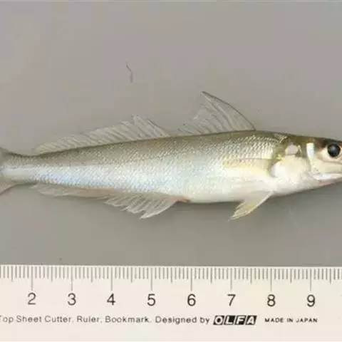
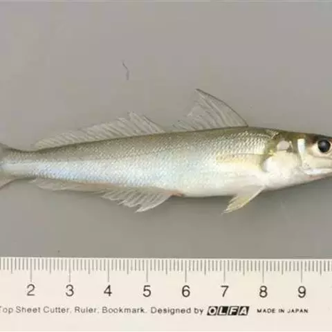
鮸,是鲈形目石首鱼科鮸属暖温性中下层鱼类。身体延长而侧扁,有4个须孔;耳石椭圆形,…




乌鳢[wū lǐ],又名黑鱼、财鱼、乌鱼、蛇头鱼,属于鲈形目鳢科鳢属鱼类。…




带鱼是鲈形目带鱼科带鱼属的鱼类,俗称刀鱼、白带鱼、牙带鱼、裙带、肥带、油带等。体延长呈带状,甚侧扁,…


















