角镰鱼(学名:Zanclus cornutus)属镰鱼科,广泛分布于印度-太平洋及东太平洋区,自非洲东部到墨西哥,北至日本南部及夏威夷群岛,南到罗得豪及拉帕岛;包括密克罗尼西亚。
基本信息

广泛分布于印度-太平洋及东太平洋区,自非洲东部到墨西哥,北至日本南部及夏威夷群岛,南到罗得豪及拉帕岛;包括密克罗尼西亚。

镰鱼科最大体长为23 cm,体极侧扁而高。口小;齿细长呈刷毛状,多为厚唇所盖住。吻突出。成鱼眼前具一短棘。尾柄无棘。背鳍硬棘延长如丝状。体呈白至黄色;头部在眼前缘至胸鳍基部后具一极宽黑横带区;体后端另具一黑横带区,区后具一细白横带;吻上方具一三角形而镶黑斑三黄斑;吻背部黑色;眼上方具两条白纹;胸鳍基部下方具一环状白纹。腹鳍及尾鳍黑色,具白色缘。

主要栖息于舄湖、礁台、清澈的珊瑚或岩礁区,栖息深度在3-182公尺。经常被发现成小群优游于礁区。主要以小型带壳的动物为食。 生活于3~182公尺海域,仔稚鱼具长时间的漂浮期,成鱼三五成群洄游於礁石区间,尤其喜在大礁或断崖之边缘活动,夜间栖身於珊瑚礁底部或凹陷处休息。杂食性,以藻类或小型无脊椎动物为主。

印度-太平洋热带海域,包括台湾南部、北部、东北部及兰屿、绿岛、澎湖海域。

水族馆展示之重要鱼种,据报载在水族箱内有存活十年之记录。

角镰鱼属镰鱼科,广泛分布于印度-太平洋及东太平洋区,自非洲东部到墨西哥,北至日本南部及夏威夷群岛,…




红笛鲷是笛鲷科、笛鲷属鱼类。体被大栉鳞。背鳍Ⅻ-14,臀鳍Ⅲ-9,胸鳍17,腹鳍I-5,…




原产南美洲的圭亚那、委内瑞拉、巴西的亚马逊流域。一般成鱼体长35cm.性格十分凶猛,有时会自相残杀…




非洲王子是一种如同鲈鱼一般的典型的鲈形目的体型的鱼。小型慈鲷,成年个体10~12cm,如同鲈鱼一般…




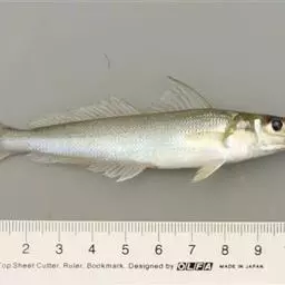
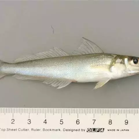
多鳞鱚,Sillago sihama ,鱚科鱚属的一种鱼类。主要分布于印度洋-西太平洋的热带海域,…




透红小丑,Premnas biaculeatus ,雀鲷科棘颊雀鲷属的一种鱼类。主要栖息于遮蔽的…




红小丑,俗称西红柿,属鲈形目雀鲷科海葵鱼属,是小丑鱼的一种。




刺鳅是合鳃鱼目刺鳅科刺鳅属鱼类,俗称钢鳅、刀鳅、石锥。体细长,前端稍侧扁,…


















