
金菠萝鱼,Cichlasoma severum,慈鲷科丽体鱼属。成鱼体长20~25cm,厚侧扁形,…




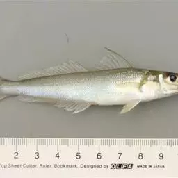
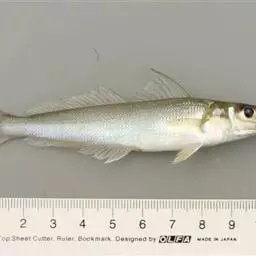
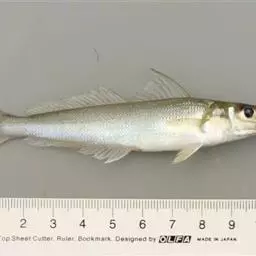
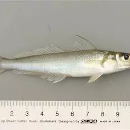
多鳞鱚,Sillago sihama ,鱚科鱚属的一种鱼类。主要分布于印度洋-西太平洋的热带海域,…




新月锦鱼又称青衣龙,花面龙,花面绿龙,为鲈形目,隆头鱼科,锦鱼属一种热带地区近岸珊瑚礁海域生活的鱼类。…




云斑海猪鱼,学名:Halichoeres nigrescens ,为隆头鱼科海猪鱼属的一种鱼类。分…




黑鲷是鲈形目鲷科棘鲷属的一种硬骨鱼,俗称海鲋、青鳞加吉、青郎、乌颊、牛屎鱲、乌翅、黑加吉、黑立、海鲫和铜盆鱼等。体呈长椭圆形,侧扁,头中大,吻钝尖。口小,上、下颌等长;体被中等大的弱栉鳞,体侧通常有5~7条黑色条纹。背鳍棘坚硬,臀鳍第二鳍棘尤甚;体背部为灰黑色,侧线起点处有黑斑点,体侧常有数条不明显的暗褐色横带,腹部银白。黑鲷分布于中国、日本和韩国等地的沿岸、港湾及河口,属内湾性鱼类,在中国,以黄海、渤海数量较多。黑鲷为浅海、底层鱼类,喜栖于沙、泥底或多岩礁的清水中,为广温、广盐性鱼类,对于环境适应能力较强。黑鲷为杂食性鱼类,在自然海区,以软体动物的蛤类、小鱼虾类为主食,有时也吃海藻,人工养殖可采用低值鱼虾贝类或配合饵料投喂。黑鲷具有很强的繁殖力,雌雄同体,雄性先熟,怀卵量达200万~300万粒以上。黑鲷是名贵海产鱼之一,全体药食兼用。具有健脾利水、补气活血的功效;用于脾虚水肿、小儿脾胃不




大眼鲷是鲈形目大眼鲷科鱼类,又称大目、大目莲。体呈长椭圆形,较侧扁;口大,口裂倾斜或近垂直状;眼更大,…




环纹刺盖鱼或称肩环刺盖鱼,别称蓝环神仙或白尾蓝纹神仙,成鱼尾鳍白色,肩部有一个蓝色圆环,体侧则有数…




红宝石鱼是鲈行目慈鲷科伴丽鱼属 鱼类,又名红花鲈、宝石鱼。个体较大,身长12—15厘米。背鳍宽大,…


















