秋刀鱼是 颌针鱼目,竹刀鱼科,秋刀鱼属的唯一一种,也是重要的食用鱼类之一。其学名Cololabis saira 取自日本纪伊半岛当地对此鱼种的名称,其中saira系俄语(сайра)。中文与日文的汉字都是 '秋刀鱼' 可能是源自于其体型脩长如刀,同时生产季节在秋天的缘故。秋刀鱼在部分东亚地区的食物料理是种很常见的鱼种。体型细圆,棒状;背鳍后有5-6个小鳍,臀鳍后有6-7个游离小鳍;两颇多突起,但不呈长缘状,牙细弱;体背部深蓝色,腹部银白色,吻端与尾柄后部略带黄色。
基本信息

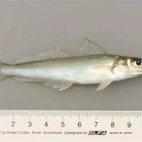
本鱼体延长而纤细,侧扁。头较长,背面平坦,中央有1微弱棱线。口前位,前部平直,后部微斜
秋刀鱼
裂。两颚向前延伸短喙状,下颚较上颚突出。齿细小,两颌各1行,前部较集中,后部少或无。鳃耙细长,无假鳃 。胸鳍小,截形 。背鳍与臀鳍位于身体之后方。均无硬棘,其后方均具小鳍;背鳍具10~12枚软条及6~7枚小鳍,臀鳍具12~15枚软条 及7枚小鳍;腹鳍位于鳃盖后缘与臀鳍起点之间中央偏后下方;尾鳍深叉形 ,下叉稍长 ;脊椎骨62-69个 ;体被小圆鳞,易脱落 ;侧线下位,近腹缘。体背部及侧上方为暗灰青色,腹侧面银白色;体侧中央具一银蓝色纵带。体长可达35厘米。

为表层洄游性鱼类 ,无胃,肠短;秋刀鱼有几类天敌如海洋哺乳类、乌贼和鲔鱼、板鳃亚纲鱼类等,当逃离掠食者的时候,可以在水的表面上滑行。
秋刀鱼是冷水性涧游鱼类,适温范围为10-24℃,15-18℃。虾类和卜足类,其次为鱼卵,挠足类为其比较稳定的饵料 ,摄饵活动主要在白天,夜里基本上不摄食。摄饵时的最适温度为15-21℃。
日本太平洋一侧的秋刀鱼从8月下旬到12月在北海道至东北地区南下徊游到达日本南方水域,而在日本海侧其南下洄游群不明显,从2月至7月进行北上徊游,到达北海道至千岛外海,其中其南下洄游群不明显。
秋刀鱼属中上层鱼类,栖息于水深0~230米的太平洋亚热带或温带海域中。

本鱼分布于北太平洋区, 秋刀鱼的分布范围 包括日本海、阿拉斯加、白令海、加利福尼亚州、墨西哥等海域。北纬67度-18度,东经137度-西经108度 ,喜欢的水温是摄氏15-18度。中国主要分布在黄海和山东东岸 。

体长25厘米以上即成熟,在日本南部海域于秋季及冬季成熟,在日本北部海域则于初夏成熟会在流藻及潮境聚集而产卵,产卵时也会进入内湾,其卵具丝状突并依附于贝壳表面上 。

在日文中,秋刀鱼也读sanma(さんま---秋刀鱼) ,与sama(さま---様)即大人的读音相近。另外,其学名Cololabis saira取自日本纪伊半岛当地对此鱼种的名称。

IUCN红色名录等级:未予评估(NE) 秋刀鱼
CITES公约级别:未定

本鱼属于经济鱼类。适合煎食或碳烤。另可供作大型鲔钓渔业之饵料鱼或宠物饲料 。
体内含丰富的蛋白质和脂肪等,味道鲜美,所以蒸、煮、煎、烤都可以,而且价格便宜(在日本产地市场的销价每公斤70-90日元之间) 。从上海水产大学对秋刀鱼营养成分分析来看,秋刀鱼蛋白质含量为20.7%。
秋刀鱼体内含有丰富的蛋白质、脂肪酸,据分析,秋刀鱼含有人体不可缺少的二十碳五烯酸(EPA)、二十二碳六烯酸(DHA)等不饱和脂肪酸,EPA、DHA有抑制高血压、心肌梗塞、动脉硬化的作用。
秋刀鱼鲜样的常规营养成分含量为:水分(60.62±0.48)%;灰分(0.75±0.01)%;粗蛋白质含量(17.63±0.34)%,低于银鲳,接近小黄鱼,高于鳕鱼、太平洋褶柔鱼和四大家系大黄鱼等海洋经济鱼类。粗脂肪含量达(21.04±0.60)%,高于许多高脂海洋经济鱼类:带鱼和四大家系大黄鱼等;低于挪威三文鱼。实验结果表明,秋刀鱼属于高脂肪、高蛋白的海水鱼类。据报道,在一定的范围内,风味随肌肉脂肪含量的增加而增加,当肌肉脂肪含量达到鲜样的(3.5~4.5)%才会有良好的适口性。秋刀鱼的粗脂肪含量很高,故具有很好的口感。

渔民捕秋刀鱼主要是利用其会被光线吸引的特性。常见的方法是用500瓦特蓝色或白色的强光灯具固定在渔船的一侧,另一侧则为较弱的红光。当鱼群被强烈的白光吸引集中时,灯光被换到船的另一侧,通常整群鱼就会被网住。以棒受网及流刺网可捕获。
自2003年我国大陆成功开发了西北太平洋秋刀鱼渔场之后,秋刀鱼已逐步进人中国大陆市场。对于秋刀鱼捕捞技术,在历经刺网、围网等渔具后.现基本以舷提网捕捞作业为主。

秋刀鱼是日本料理中最具代表性的秋季食材之一,最常见的烹制方式是将整条鱼盐烤,搭配白饭、味噌汤、萝卜泥一同食用。秋刀鱼的鱼肠有苦味,但是大多数食客并不把鱼肠去除,而是用酱油或柠檬汁来给盐烤秋刀鱼调味。他们认为酱油的咸鲜味或柠檬的酸味与鱼本身的苦味相结合,才是秋刀鱼的最佳风味。此外,盐烤秋刀鱼也是韩国料理中的一道菜肴。蒲烧秋刀鱼是另一种比较常见的烹制方式。秋刀鱼生鱼片开始逐渐流行起来。秋刀鱼寿司则并不是全日本十分普及的菜式,只是纪伊半岛、志摩半岛等一些沿海地区的区域性食物。制作寿司用的秋刀鱼肉要先用盐和醋(有时用柠檬汁)进行腌制后方可使用。
一般人群均可食用
一、香煎秋刀鱼
烹制方法(两人份)
材料:秋刀鱼(2条)、清鸡汤(半碗)、姜(4片)
调料:油(5汤匙)、鲍鱼汁(2汤匙)、酱油(1汤匙)、料酒(1汤匙)、白糖(1/2汤匙)
制法:
1.洗净秋刀鱼,切除头尾,剖开鱼腹去除鱼的脊梁骨,使鱼背仍相连。姜切成丝待用。
2.秋刀鱼放入碗里,加1汤匙酱油、1汤匙料酒、1/2汤匙白糖和少许姜丝拌匀,让秋刀鱼浸泡其中腌20分钟。
3.倒5汤匙油进锅烧热,将秋刀鱼和腌汁都倒进锅,转小火煎5分钟,不时地铲铲秋刀鱼,避免粘锅。
4.倒入半碗清鸡汤、2汤匙鲍鱼汁,加盖中火焖煮5分钟,再开大火收干汤汁,即可起锅了。
二、盐烤秋刀鱼
烤秋刀鱼 材料:秋刀鱼
调料:盐、黑胡椒碎粒、大蒜粉、生姜粉、柠檬汁。
做法:
1.秋刀鱼去除内脏鱼鳃,洗净沥干。
2.用盐抹秋刀鱼,并洒上黑胡椒、生姜粉和大蒜粉(两面都抹盐洒香料),腌15分钟左右。
3.烤箱预热200度。烤架涂一层油,将腌制好的秋刀鱼排放在烤架上。
4.烤20分钟后,取出,将鱼翻个面,放入烤箱再烤15分钟。滴几滴柠檬汁食用。
三、麻辣秋刀鱼
原料:秋刀鱼3条(约600克);红辣椒1/2个;黄辣椒1/2个;青豆5克;香葱1棵;生姜1小块;大蒜3瓣
调料:食用油30克;酱油2小匙(6克);料酒1大匙(30克);胡椒粉1小匙(3克);豆豉1大匙(30克);精盐1小匙(3克);味精1/2小匙(1.5克)
做法:
1.秋刀鱼取出内脏后切段,洗净放入盘中
2.葱洗净后切成葱花;姜、蒜洗净切末;辣椒洗净切块;豆豉洗净
3.锅内放少量油,将葱、姜、蒜、辣椒、青豆、豆豉入锅爆香后淋在鱼上
4.再放上胡椒粉、酱油、料酒、盐、味精蒸约6 分钟至熟即可。
特性:豉香味浓,滑嫩清淡。
提示:如果不怕味道苦,不取出鱼的内脏也可以。
四、红烧秋刀鱼
菜品信息
菜品口味:酸甜
主要工艺:烧
所需时间:20分钟
制作难度:简单
所用厨具:炒锅
食材明细
秋刀鱼 胡萝卜 大蒜 小葱 番茄酱 鸡精 盐 食用油 料酒 淀粉
做法:
1、萝卜切丁、大蒜小葱切末。
2、秋刀鱼洗净切段。
3、将切好的秋刀鱼用少许料酒、盐腌制15分钟去腥入味
4、腌制好的秋刀鱼拍上干淀粉。
5、热锅烧油,将秋刀鱼下锅煎至两面金黄,捞出控油备用。
6、将油倒出,留少许在锅内,烧热后下入蒜末煸香。
7、注入少量清水,调入番茄酱、盐、鸡精转小火调汁。
8、下入萝卜丁略微翻炒。
9、将煎好的下锅,转中火翻炒至稍稍收汁后铲起入碟,撒些葱末即可。
五、蜜汁烧烤秋刀鱼
做法:
1.秋刀鱼去腮去内脏,冲洗干净,沥干水分
2.料酒和蒸鱼豉油抹遍全身里外,再用蜜汁烤肉酱涂满里外腌制半小时以上
3.烤箱预热220度,将鱼置于锡纸上,用姜丝撒在鱼肚里及外面,并将腌料汁浇在鱼身上
4.可将锡纸包起,放在烤盘上入烤箱上层烤制,约25分钟即可出炉。也可以烤至中途时将锡纸打开,烤至鱼皮表面焦黄。一干一湿风味皆有不同
5.因蒸鱼豉油有咸味,加之海鱼本身的咸味,只用蜜汁烤肉酱即可,可以不用再放盐。
六、椒盐秋刀鱼
材料:秋刀鱼
调料:盐、胡椒粉、辣椒粉、五十六度白酒、花生油适量
做法:
1.秋刀鱼去内脏,清洗干净,空干水分,用厨房纸巾把鱼身彻底吸干,再在鱼身斜切几刀。
2.放盐,胡椒粉,辣椒粉,五十六度白酒腌制2-4小时。
3.用平底锅放入花生油烧热,再放入秋刀鱼煎至两面微黄,装碟即可。
七、清蒸秋刀鱼
材料:秋刀鱼、大葱、生姜、生抽适量
做法:
1.秋刀鱼清理干净,生姜去皮切丝,放在秋刀鱼的肚子里和旁边,摆在蒸锅上,蒸十五分钟左右。
2.将大葱切成小段。
3.捞出秋刀鱼,锅里热油,倒入葱白翻炒,再倒入生抽煮开。
4.把调味汁淋在秋刀鱼上,即可。
八、茄汁秋刀鱼
材料:秋刀鱼、番茄酱、西蓝花、葱、姜、蒜、花椒、大料、盐、糖、绍酒、胡椒粉适量
做法:
1.在秋刀鱼身上切平行的花刀,用盐、胡椒粉、绍酒腌渍。
2.西蓝花改小朵,腌好的秋刀鱼拍少许生粉。
3.放在平底煎锅中,煎至两面金黄。
4.锅中倒入水,加少许油盐,将西蓝花焯熟捞出。
5.锅中放少许油煸香葱姜蒜,放入番茄酱炒出,加盐、白糖调味放入秋刀鱼,烹入绍酒,小火入味,大火收汁即可装盘,西蓝花码盘装饰。
九、秋刀鱼汤
材料:秋刀鱼(罐头)、蘑菇、西葫芦、萝卜、大葱、青红辣椒、苘蒿、精盐、调料酱、辣椒酱、辣椒粉、酱油、蒜末、姜末
做法:
1.秋刀鱼处理好放在笊篱上沥水。
2.将蘑菇用清水冲洗干净后切成适当大小,萝卜切成块,西葫芦切成半圆形片。
3.大葱、青红辣椒斜切,茼蒿择好后洗净,并用手撕成小块。
4.将水倒入锅内并放入萝卜开始煮,将调料酱也倒入其中。
5.调料酱完全溶入汤中后,放入秋刀鱼、蘑菇和西葫芦再煮开。
6.然后放入茼蒿、大葱、辣椒后,再煮3~5分钟,然后用精盐调味,即可。
新鲜的秋刀鱼买回家后如果不马上食用,就要用保鲜膜包好放在冰箱冷藏室里,1-2天内尽快烹饪。如果放在冷冻室里,则可以保存3个月甚至更久,但滋味与口感都会大打折扣。
上好的秋刀鱼形如上好的弯刀,弧度美妙,鱼嘴锋利,鳞片泛着青色,带有月光一样妩媚的明亮光泽。凑近闻,有极淡的腥味。 肉质紧,眼睛有光泽,鳞片全的比较新鲜。
如果鱼身变得涨大,则多为即将变质或已经变质的鱼;从颜色方面辨别,色泽较暗的也是不新鲜的鱼;不新鲜的秋刀鱼吃起来没有鲜度,如同嚼豆腐渣。
秋刀鱼等青皮红肉鱼类在适度环境中会产生组胺,引起组胺中毒(过敏性中毒),选购时,要特别注意鲜度质量,尽量加醋烧煮或油炸。建议秋刀鱼装碟时,可洒上炒过的白芝麻,或者挤点新鲜的柠檬汁提味。
煎秋刀鱼时,最好只煎鱼肉那一面,如果煎鱼皮那一面,鱼皮会容易因粘锅而破掉,不太美观。焖煮秋刀鱼时,中途要揭盖铲松秋刀鱼,避免它粘锅烧糊。做秋刀鱼的过程中,酱油和鲍汁已经够味,不需要放盐,否则会过咸了。
秋天是秋刀鱼最肥美的季节,可将新鲜的秋刀鱼,连同内脏一起烤制成盐烧秋刀鱼。腐败变质的鱼会产生毒害物质,不宜食用。

射水鱼属:是分布于印度洋——太平洋地区的射水鱼科七种鱼的统称,以其能从口中射出水滴,…




长吻鲟是鲟形目长吻鲟科长吻鲟属鱼类。体长梭形,胸鳍前部平扁,后部稍侧扁;头较长,…




金苔鼠,Gyrinocheilus aymonieri ,双孔鱼科双孔鱼属的一种鱼类。…




鸳鸯炮弹黑白交叉的鱼体,前吻有一黄带,是浅海炮弹鱼,食鱼、虾,饲养容易。饲养在水族箱里会口含碎珊瑚…




黑龙江泥鳅须5对,无眼下刺,腹鳍基部起点约与背鳍起点相对,躯体被鳞,尾鳍基部上方具一黑斑。底层鱼类…




大鳞鮻,为鲻科、鮻属鱼类。体呈纺锤形,略侧扁;脂眼睑不发达。他重中之重是胸鳍基部有金黄色斑,且体型…




黑鲷是鲈形目鲷科棘鲷属的一种硬骨鱼,俗称海鲋、青鳞加吉、青郎、乌颊、牛屎鱲、乌翅、黑加吉、黑立、海鲫和铜盆鱼等。体呈长椭圆形,侧扁,头中大,吻钝尖。口小,上、下颌等长;体被中等大的弱栉鳞,体侧通常有5~7条黑色条纹。背鳍棘坚硬,臀鳍第二鳍棘尤甚;体背部为灰黑色,侧线起点处有黑斑点,体侧常有数条不明显的暗褐色横带,腹部银白。黑鲷分布于中国、日本和韩国等地的沿岸、港湾及河口,属内湾性鱼类,在中国,以黄海、渤海数量较多。黑鲷为浅海、底层鱼类,喜栖于沙、泥底或多岩礁的清水中,为广温、广盐性鱼类,对于环境适应能力较强。黑鲷为杂食性鱼类,在自然海区,以软体动物的蛤类、小鱼虾类为主食,有时也吃海藻,人工养殖可采用低值鱼虾贝类或配合饵料投喂。黑鲷具有很强的繁殖力,雌雄同体,雄性先熟,怀卵量达200万~300万粒以上。黑鲷是名贵海产鱼之一,全体药食兼用。具有健脾利水、补气活血的功效;用于脾虚水肿、小儿脾胃不




飞凤鱼学名真唇脂鲤, 是脂鲤亚目、原唇齿脂鲤科、真唇脂鲤属的一种大型观赏鱼。飞凤鱼体呈侧扁形,…


















