
横带刺尾鱼,刺尾鱼科刺尾鱼属的一种鱼类。俗名条纹刺尾鱼。鱼吻及下颌周围有淡色环。体被细小栉鳞。体色…




大西洋蓝鳍金枪鱼:是鲭形目、鲭科、金枪鱼属的海洋动物。体长可达3米,…




白腹鲭是鲭科、鲭属鱼类。体纺锤形,稍侧扁;背缘和腹缘浅弧形;尾柄细短,尾鳍基部两侧各具2条小隆起脊…




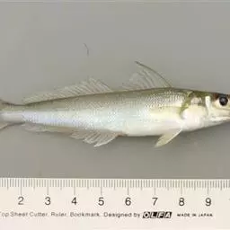
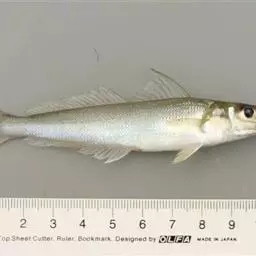
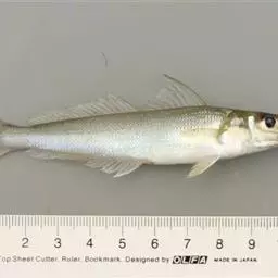
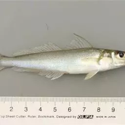
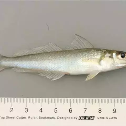
多鳞鱚,Sillago sihama ,鱚科鱚属的一种鱼类。主要分布于印度洋-西太平洋的热带海域,…




角镰鱼属镰鱼科,广泛分布于印度-太平洋及东太平洋区,自非洲东部到墨西哥,北至日本南部及夏威夷群岛,…




白腹鲭是鲭科、鲭属鱼类。体纺锤形,稍侧扁;背缘和腹缘浅弧形;尾柄细短,尾鳍基部两侧各具2条小隆起脊…




大眼鲷是鲈形目大眼鲷科鱼类,又称大目、大目莲。体呈长椭圆形,较侧扁;口大,口裂倾斜或近垂直状;眼更大,…




罗汉鱼,是鲈形目慈鲷科慈鲷属的鱼类。其体形侧扁,体长与体高基本相等;头额突出,眼圈朱赤,…


















