招财鱼,Osphronemus goramy (Lacepède, 1801),又名战船、长丝鲈,原产地越南、泰国、马来西亚等,是鲈形目(Perciformes)攀鲈亚目(Anabantoidei)丝足鲈科 (Osphronemidae)丝足鲈属的一种鱼类。该科的鱼一般体型都比较小,但招财是该科鱼中的巨人。成鱼体长20~69厘米,椭圆形。体色灰褐,腹鳍变异为两根长长的丝鳍,各鳍浅红色。饲养水温22~32摄氏度,水质要求不严,易饲养。繁殖水温26~27摄氏度雄鱼背鳍末梢尖长,属泡沫卵生鱼类。在水族箱水面上漂浮几颗水草,将一对亲鱼放入,雄鱼在水面上突出大量泡沫,并将受精卵突入泡沫中孵化。雌鱼每次产卵500~1000粒。具有很强的领域性,会攻击其他鱼类,不推荐与其他鱼类混养。
基本信息

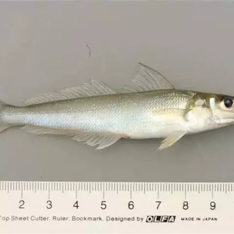
体侧扁,椭圆形,背高而宽;头小,头顶和两边有突出的额角(状似头盔甲);吻端突出,口裂大,下颌突出,上颌小;腹鳍变异为两根长长的鳍丝(犹如舢板的双桨,故有舢板鱼之俗称),延伸至身体尾部,臀鳍向后延长,但不与尾鳍相连,尾鳍棘为扇形直射状。雄鱼的背鳍末梢尖长。体表灰褐色(幼鱼时具暗色条纹),各鳍浅红色。18月龄的个体体重0.5~1.0千克;最大个体体重可达20千克。
体长10~15cm,椭圆形。体色灰褐,腹鳍变异为两根长长的丝鳍,各鳍浅红色。

原产为东南亚的越南、泰国、马来西亚等地的海域、岛礁。

生活在水深2米以上的河口水域,栖息于缓流区,在水急或流速较大的河川很少发现其踪影;喜集群,喜上下垂直游动。水温降至12℃以下时会被冻伤甚至冻死;适宜生长水温19~33℃,最适为23~28℃。生存盐度在20以下。耐低氧能力强,正常生长所需溶氧量为3毫克/升水体,窒息点为0.3毫克/升水体。

对水质要求不严,饲养水温22~32℃。水质为中性或微酸性的软水。饵料有 小活鱼、鱼肉、虾肉、水蚯蚓等。 长丝鲈原产东南亚,引种自越南安江省,当地俗称财神鱼。其肉质细嫩,味道鲜美,生长速度快,群体产量高,当年苗种经一年饲养可长800克~1000克。最大个体可达至7~8公斤,深受养殖者、消费者喜爱,在国际市场上非常走俏,香港春节市场曾卖到6000港币一对,是一种高档经济鱼类,我国已引进。
体质1、选池。应当选择冷、热水水源充足、无污染、水质肥瘦适宜、排灌方便的精养池作为亲鱼培育池,面积以2~3亩,水深2米为宜。
2、放养。放养密度不宜过大,每亩水面放养亲鱼不宜超过120公斤,放养前注意清塘消毒,并要求引种纯正,规格整齐,无病无伤,体质健壮。
3、投喂。长丝鲈可投喂麦麸、豆饼、黄豆等饲料,最好投喂配方颗粒饲料,有条件的地方还可投喂动物肝脏及蚕蛹等。饲料应投放在固定饵料台上,以每天吃完不剩为宜,日投两次,阴雨、低温天气酌减。
1、保温。该品种属热带鱼类,对温度要求颇严,适宜水温22~32℃,在阴雨天或冷空气来临时,要及时加热水升温,平时要保持池水深度,升温时注意勿过急,以防温度骤变不利亲鱼生长。水温过高时要及时加注冷水。
2、保水。一是保证水深在2米以上;二是保证水源。须确保冷、热水及时足量供应;三是保证水质,保持水质的肥、活、嫩、爽,透明度在35厘米以上。要经常加注新水,一般每月2~3次,每次加水10~20厘米,加水前放掉老水,夏天可适当提高换水次数和水量。每个培育池应配备增氧机一台,以便及时增氧或急救。越冬期在晴好天气可适当揭开保温覆盖面,便于空气流通交换。
3、保食。一保证食物营养,食料要求是含蛋白质成份较高的新鲜饲料,不能投喂腐烂变质,营养不全的食料;二保证食物量,该品种食性杂,摄食量大,注意按需投喂;三保证食台卫生,要经常清洗食台,除去残饵杂物,常挂篓消毒。
4、防病。对于长丝鲈的病害应以预防为主,具体预防措施是:(1)保持池水温度在20度以上;(2)定期用生石灰10~15千克/亩 (一周一次)进行水体消毒,也可用1ppm的漂白粉溶液;(3)可用磺胺类药物拌饵投喂;(4)及时调节水质,经常清洗食台并予以消毒。长丝鲈的常见病毒有打印病、赤皮病和锚头蟹病,一般对症下药即可治愈。一般在做好预防工作的前提下,加上投喂适当,长丝鲈不会发生病害。
5、防患。一是清除池周杂草,谨防禽畜下池;二是越冬期保持全天值班,发现隐患及时处理,阴雨、闷热,骤冷天气密关注,勤看勤管;三是防盗。
水族箱中放养,建议采用大于1米的水族箱。适合与大多数体型相差不大的鱼混养,雄性之间会有争斗,偶尔欺负比它体型小的其他鱼类。







罗非鱼别称非洲鲫鱼、南鲫、越南鱼,是鲈形目丽鲷科罗非鱼属脊索动物。体侧扁,头中等大小,…




眼点丽鱼又称皇冠三间、孔雀鲈,为鲈形目,慈鲷科,丽鱼属一种淡水鱼类。…




蓝圆鲹属鲹科、圆鲹属鱼类。体呈纺锤形,微侧扁。下颌稍突于上颌。上颌延伸至眼前缘之下方。上下颌各具一…




狐面鱼,学名:Siganus vulpinus ,又名狐狸鱼,分布于菲律宾、中国台湾、太平洋的珊瑚…




带鱼是鲈形目带鱼科带鱼属的鱼类,俗称刀鱼、白带鱼、牙带鱼、裙带、肥带、油带等。体延长呈带状,甚侧扁,…




月鳢是鲈形目鳢科月鳢属鱼类,又称七星鱼、山花鱼、山斑鱼、张公鱼等。头大而宽扁;吻短而圆钝,…




狐面鱼,学名:Siganus vulpinus ,又名狐狸鱼,分布于菲律宾、中国台湾、太平洋的珊瑚…




火鹤鱼,热带鱼,鱼学名:Cichlasoma citrinellum 别名寿星头、寿星鱼,…
























